New Search Family, Subfamily and Tribe List

SubFamily Cerambycinae

Tribe Clytini
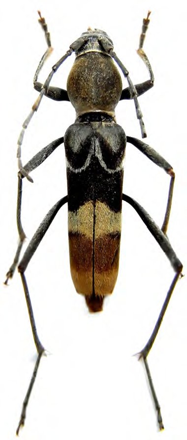
Demonax septemcinctus Gouverneur 2021

Specimen Type: holotype
Sex: f
Institution: Gouverneur Collection
Photographer: Xavier Gouverneur
Collection Location: Ha Giang Province, Vietnam
78317

130425