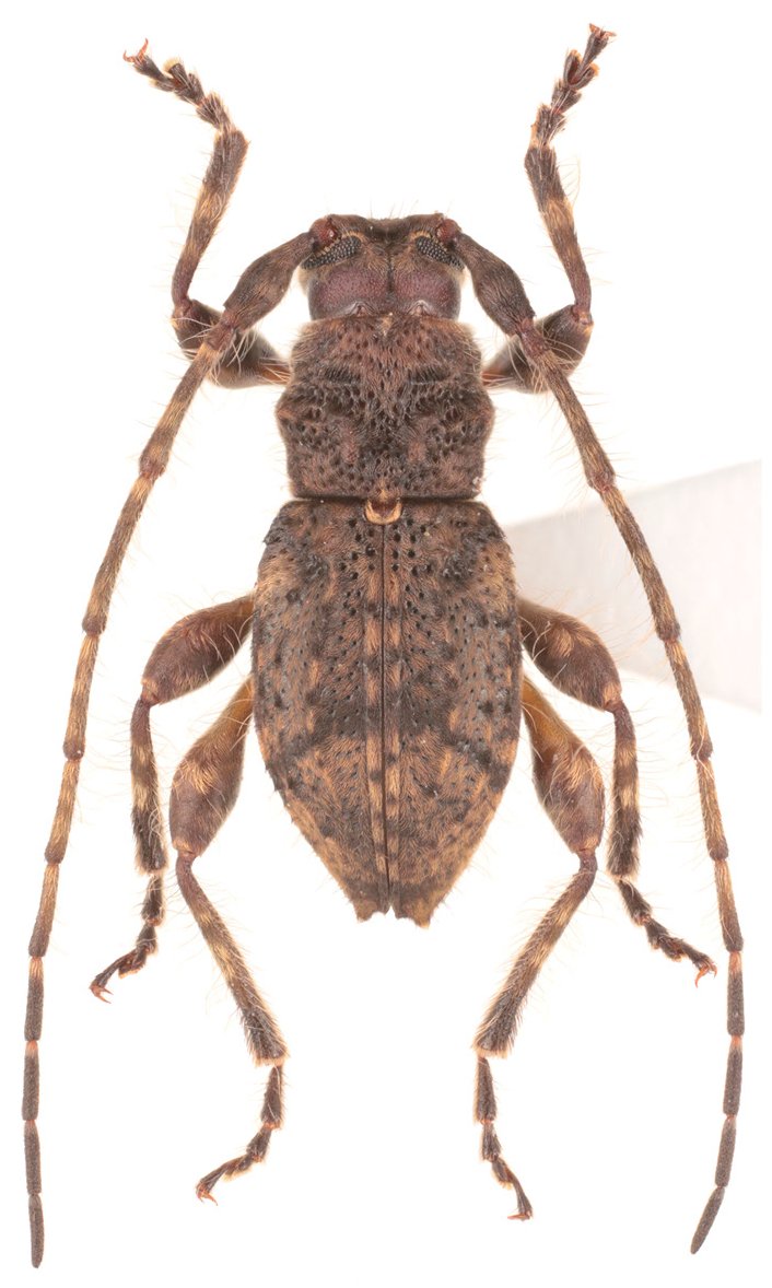
 Yamasako Vives Liu BAUC Mt Ailao-shan, Heping Towns, Zhenuan Co, Yunnan, China.jpg)
Specimen Type: holotype Sex: m Institution: BITS Bin Insect Taxonomy Studio, Beijing, China Photographer: Junsuke Yamasako Collection Location: Mt Ailao-shan, Heping Township, Zhenuan County, Yunnan, China 78264
|
 Yamasako Vives Liu BAUC Mt Ailao-shan, Heping Towns, Zhenuan Co, Yunnan, China.jpg)
Specimen Type: holotype Sex: m Institution: BITS Bin Insect Taxonomy Studio, Beijing, China Photographer: Junsuke Yamasako Collection Location: Mt Ailao-shan, Heping Township, Zhenuan County, Yunnan, China 78265
|