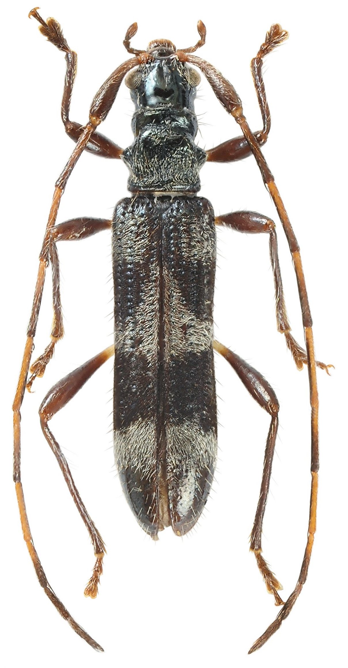
 Hergovits coll Gunung Alab peak, Banjaran Crocker Mtns, Sabah, Borneo.jpg)
Specimen Type: holotype Sex: f Institution: RHCS Roman Hergovits Collection, Slovak Republic Photographer: Roman Hergovits Collection Location: Gunung Alab peak, Banjaran Crocker Range Mountains, Sabah, Borneo 78251
|

Photographer: Ivo Jenis Collection Location: Sabah, Borneo 54398
|