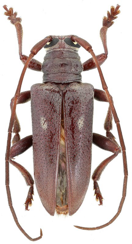
 Sudre Filippi CCEC Bom Sucesso, Sao Tome Principe.jpg)
Specimen Type: holotype Sex: m Institution: CCEC Centre de Conservation et d’Etude des Collections, Lyon, France Photographer: Jerome Sudre Collection Location: Bom Sucesso, Sao Tome & Principe 78240
|
 Sudre Filippi CCEC Bom Sucesso, Sao Tome Principe.jpg)
Specimen Type: holotype Sex: m Institution: CCEC Centre de Conservation et d’Etude des Collections, Lyon, France Photographer: Jerome Sudre Collection Location: Bom Sucesso, Sao Tome & Principe 78241
|