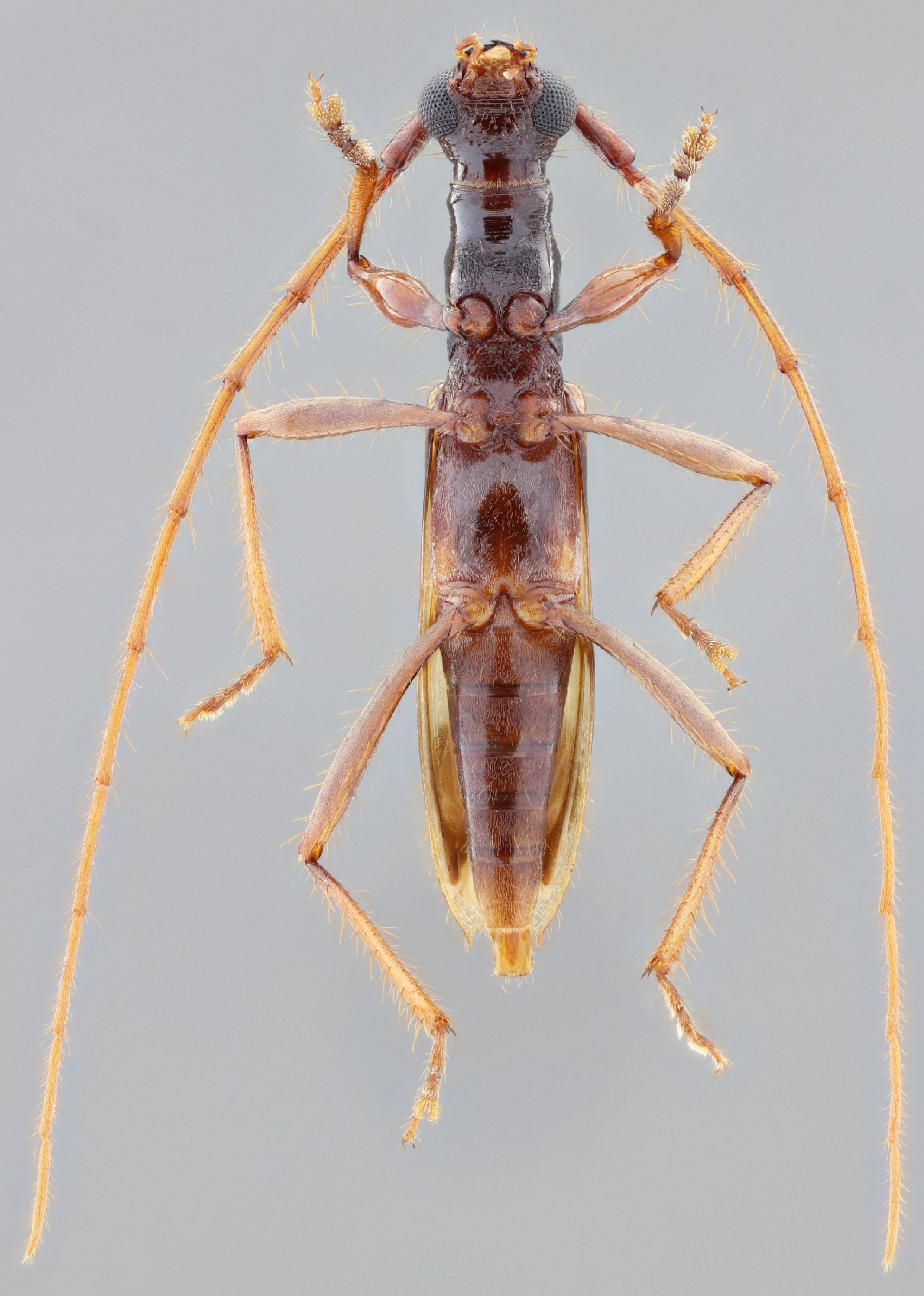
 Vlasak SS MZSP Camp Caimans, Kaw French Guiana SS.jpg)
Specimen Type: holotype Sex: f Institution: MZSP Museu de Zoologia da Universidade de São Paulo, Brazil Photographer: Antonio Santos-Silva Collection Location: Camp Caimans, Kaw French Guiana 78122
|
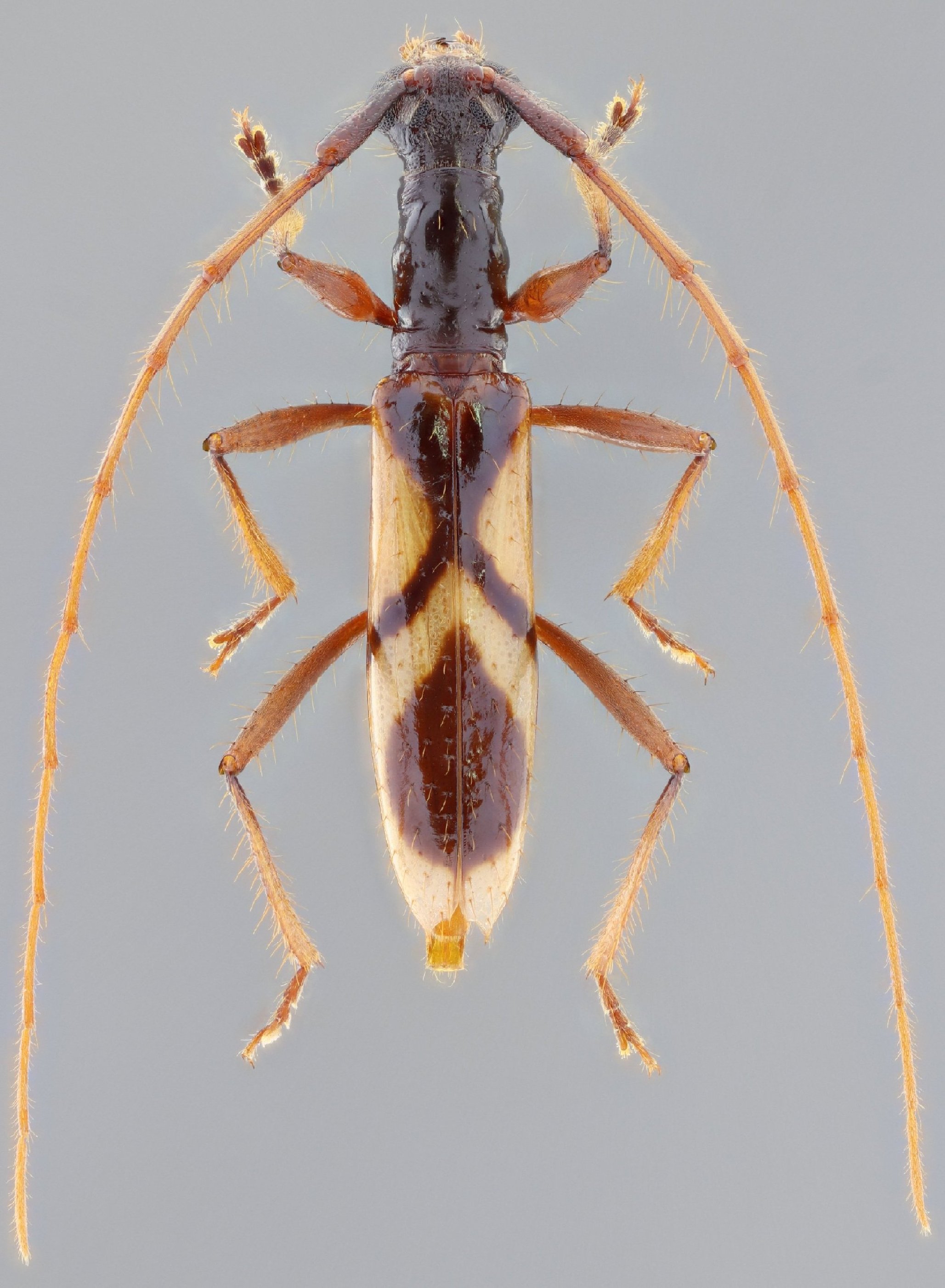
 Vlasak SS MZSP Camp Caimans, Kaw French Guiana SS.jpg)
Specimen Type: holotype Sex: f Institution: MZSP Museu de Zoologia da Universidade de São Paulo, Brazil Photographer: Antonio Santos-Silva Collection Location: Camp Caimans, Kaw French Guiana 78123
|
 Vlasak SS MZSP Camp Caimans, Kaw French Guiana SS.jpg)
Specimen Type: holotype Sex: f Institution: MZSP Museu de Zoologia da Universidade de São Paulo, Brazil Photographer: Antonio Santos-Silva Collection Location: Camp Caimans, Kaw French Guiana 78124
|
 Vlasak SS MZSP Camp Caimans, Kaw French Guiana SS.jpg)
Specimen Type: holotype Sex: f Institution: MZSP Museu de Zoologia da Universidade de São Paulo, Brazil Photographer: Antonio Santos-Silva Collection Location: Camp Caimans, Kaw French Guiana 78125
|
 Vlasak SS MZSP Camp Caimans, Kaw French Guiana SS.jpg)
Specimen Type: holotype Sex: f Institution: MZSP Museu de Zoologia da Universidade de São Paulo, Brazil Photographer: Antonio Santos-Silva Collection Location: Camp Caimans, Kaw French Guiana 78126
|
|