New Search Family, Subfamily and Tribe List

SubFamily Cerambycinae

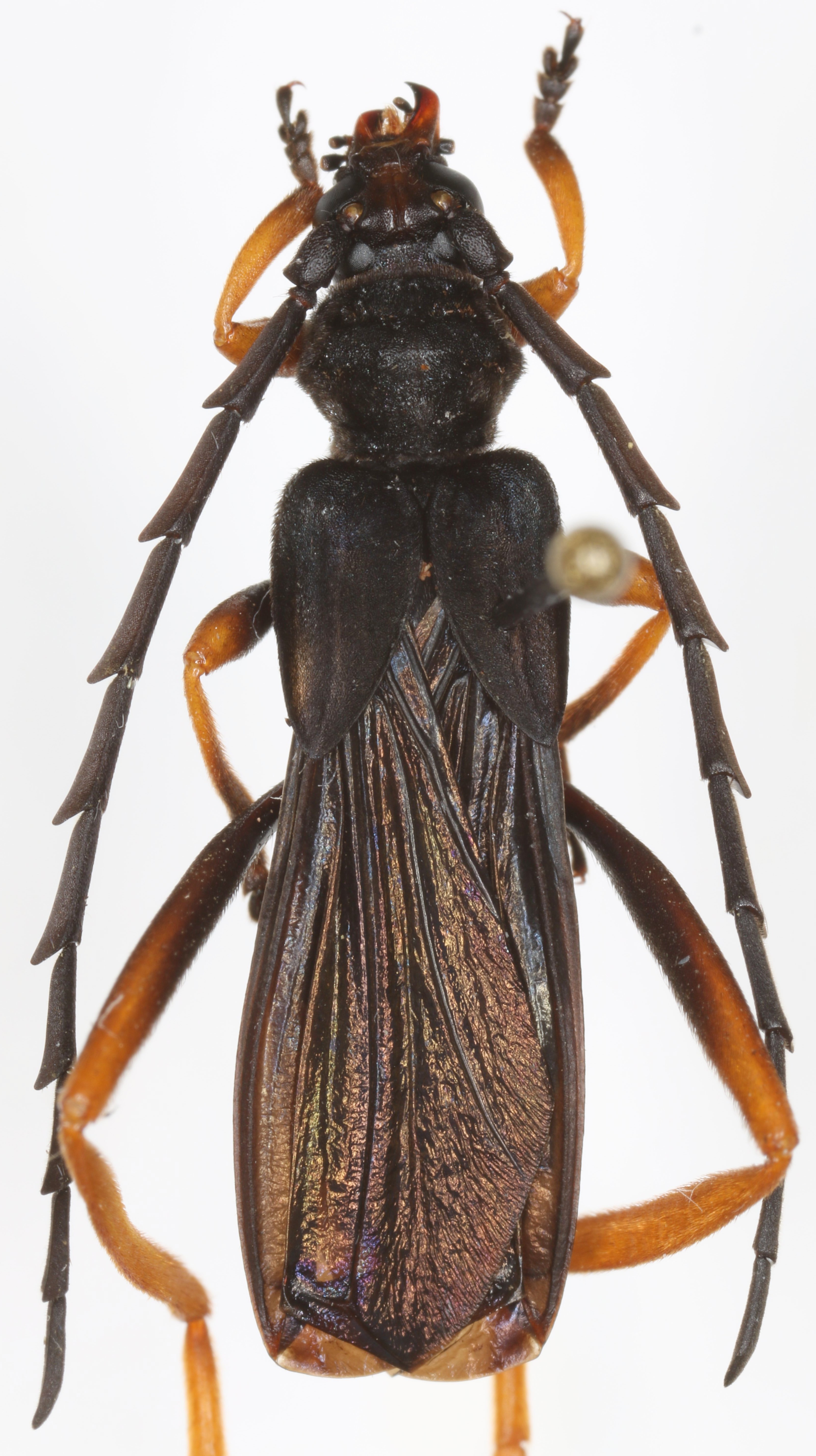
Tribe Callichromatini
Scalenus pseudosericeus Jiroux, Haller & Bentanachs 2019

Specimen Type: topotype
Sex: m
Institution: Heffern Collection
Photographer: Dan Heffern
Collection Location: Dambri, Bao Lam District, Lam Dong Province, Vietnam
78120

130425