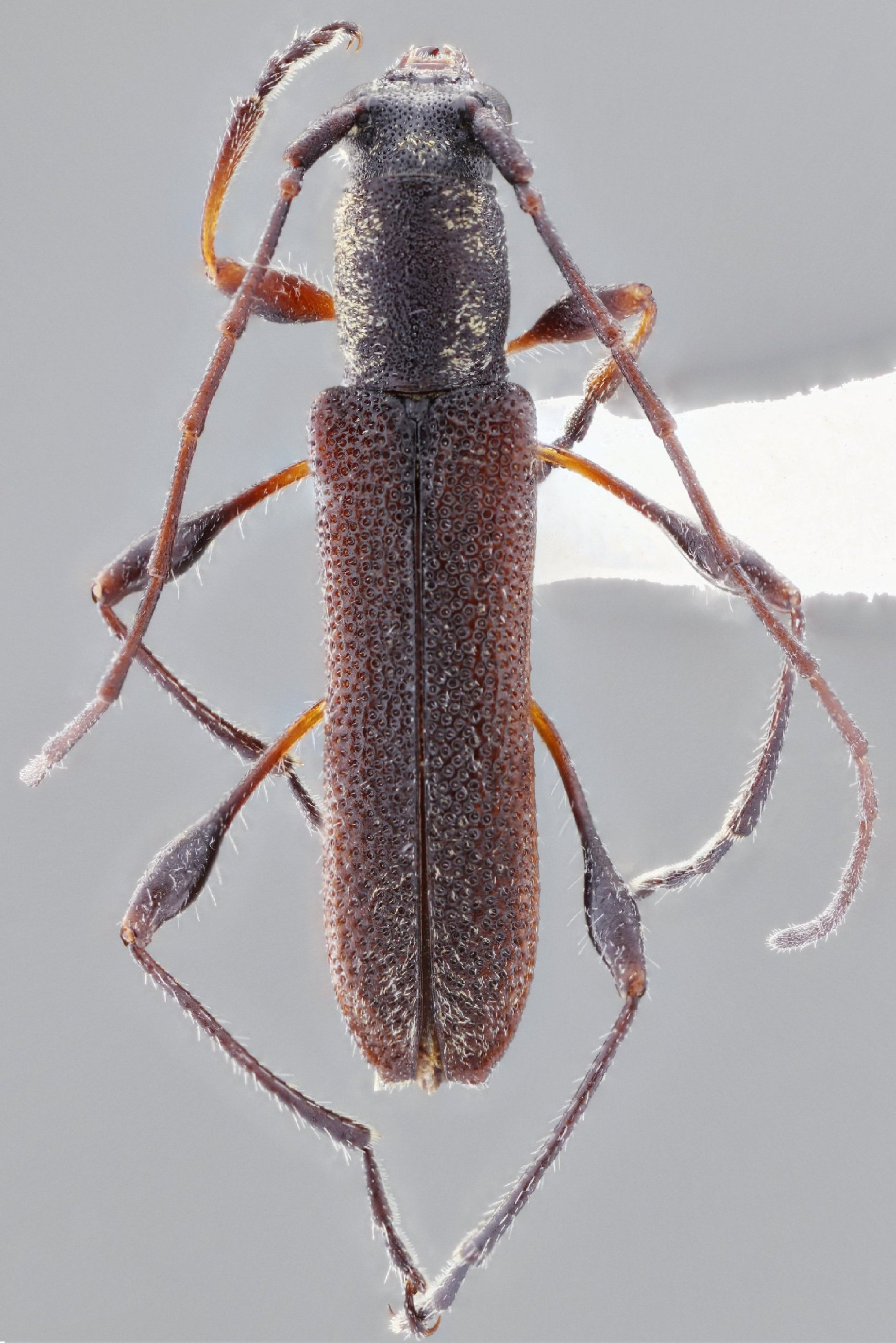
 Bez SS CASC 18.5 km N Gonzanama, Loja, Ecuador SS.jpg)
Specimen Type: holotype Sex: m Institution: CAS California Academy of Sciences, San Francisco, CA, USA Photographer: Antonio Santos-Silva Collection Location: 18.5 km N Gonzanama, Loja, Ecuador 78111
|
 Bez SS CASC 18.5 km N Gonzanama, Loja, Ecuador SS.jpg)
Specimen Type: holotype Sex: m Institution: CAS California Academy of Sciences, San Francisco, CA, USA Photographer: Antonio Santos-Silva Collection Location: 18.5 km N Gonzanama, Loja, Ecuador 78112
|
 Bez SS CASC 18.5 km N Gonzanama, Loja, Ecuador SS.jpg)
Specimen Type: holotype Sex: m Institution: CAS California Academy of Sciences, San Francisco, CA, USA Photographer: Antonio Santos-Silva Collection Location: 18.5 km N Gonzanama, Loja, Ecuador 78113
|
 Bez SS CASC 18.5 km N Gonzanama, Loja, Ecuador SS.jpg)
Specimen Type: holotype Sex: m Institution: CAS California Academy of Sciences, San Francisco, CA, USA Photographer: Antonio Santos-Silva Collection Location: 18.5 km N Gonzanama, Loja, Ecuador 78114
|
|