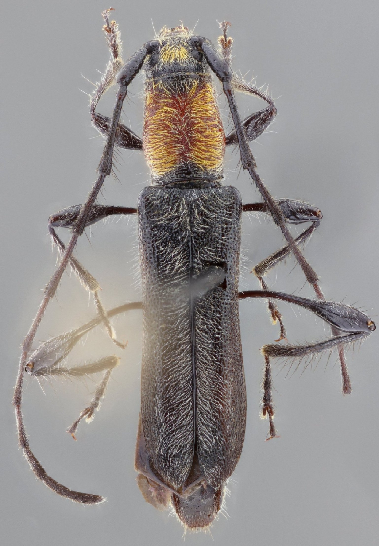
 Bez SS CASC vic Montecristi, Manabi, Ecuador.jpg)
Specimen Type: holotype Sex: m Institution: CAS California Academy of Sciences, San Francisco, CA, USA Photographer: Antonio Santos-Silva Collection Location: vicinity of Montecristi, Manabi, Ecuador 78099
|
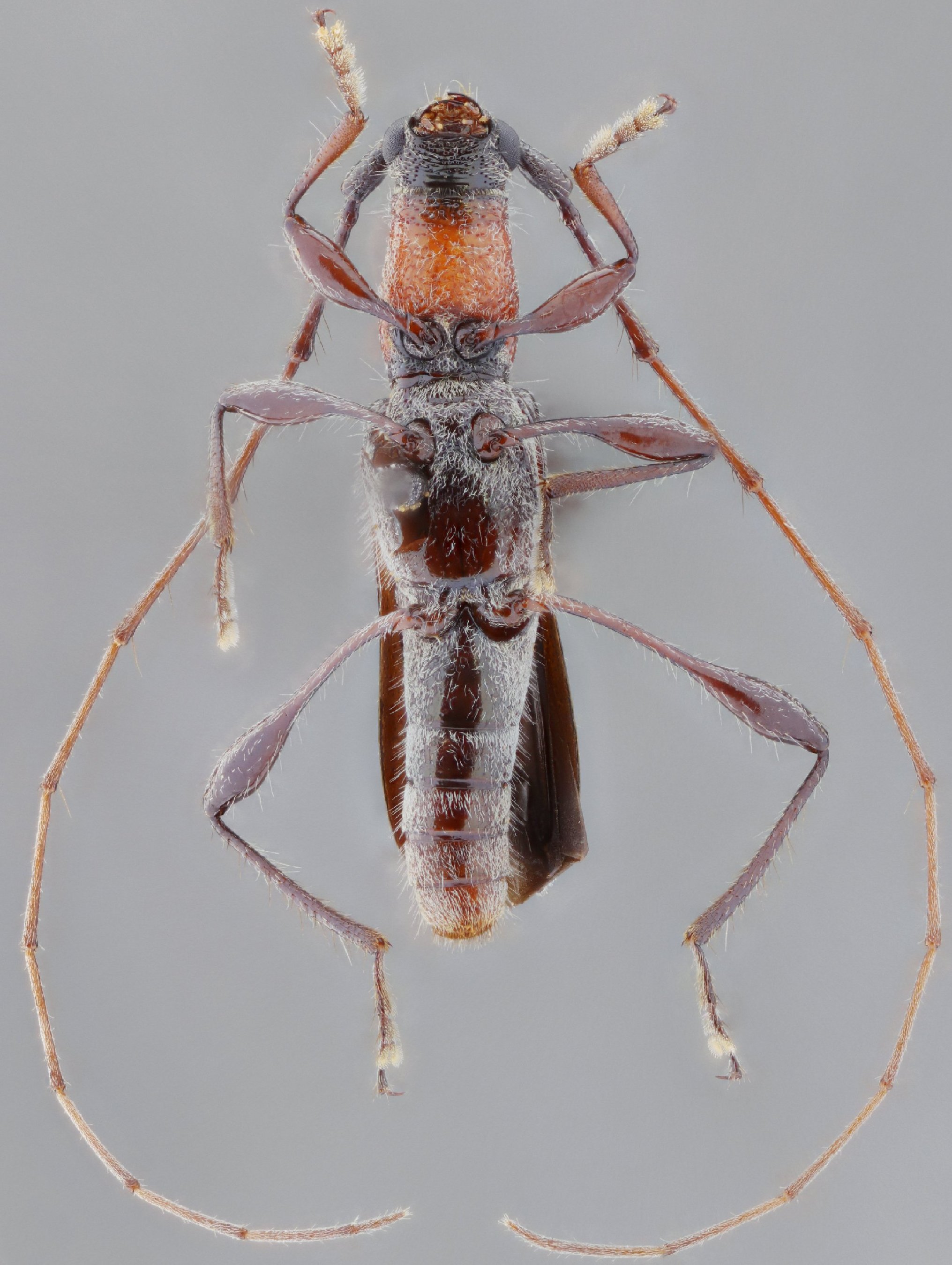
 Bez SS CASC vic Montecristi, Manabi, Ecuador.jpg)
Specimen Type: holotype Sex: m Institution: CAS California Academy of Sciences, San Francisco, CA, USA Photographer: Antonio Santos-Silva Collection Location: vicinity of Montecristi, Manabi, Ecuador 78100
|
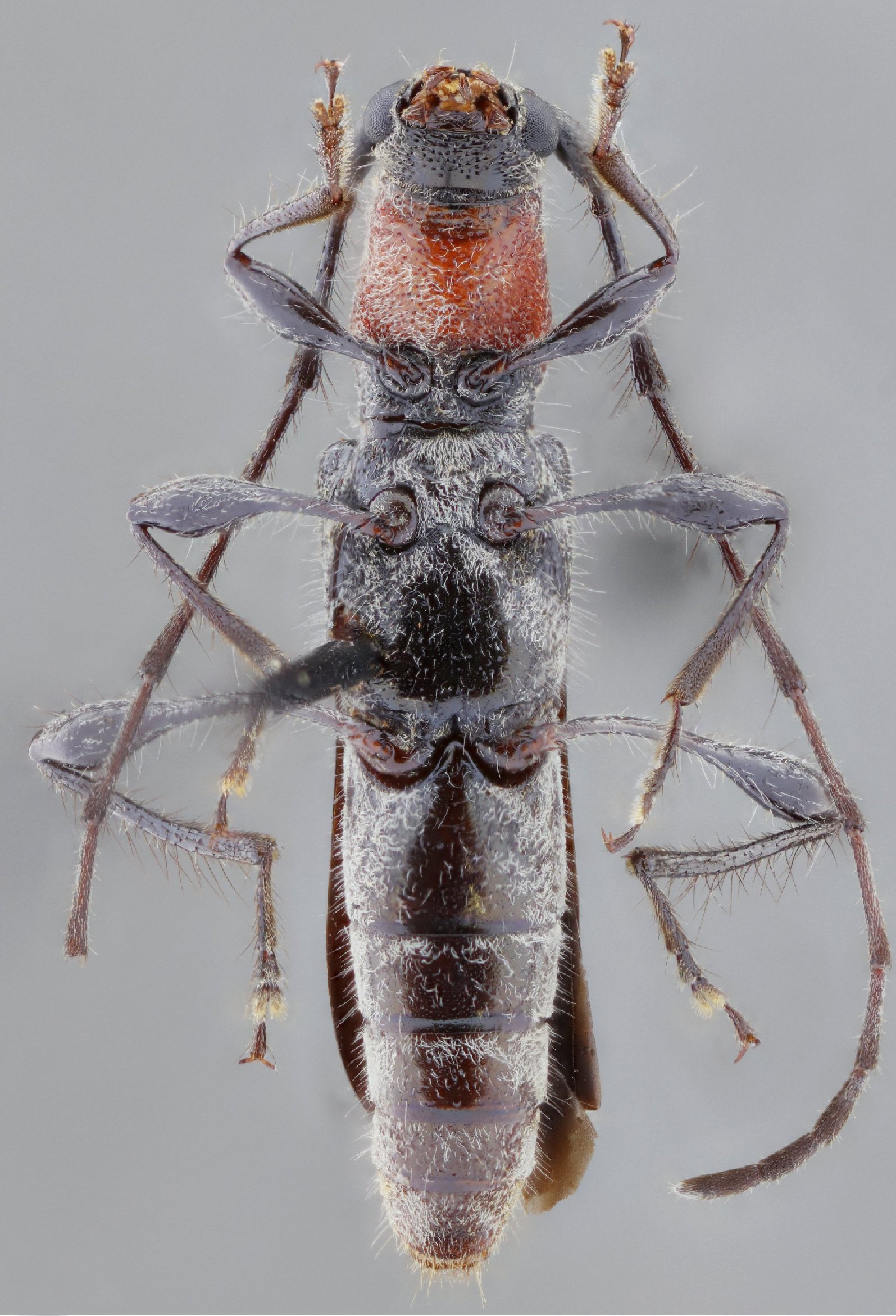
 Bez SS CASC vic Montecristi, Manabi, Ecuador.jpg)
Specimen Type: holotype Sex: m Institution: CAS California Academy of Sciences, San Francisco, CA, USA Photographer: Antonio Santos-Silva Collection Location: vicinity of Montecristi, Manabi, Ecuador 78101
|
 Bez SS CASC vic Montecristi, Manabi, Ecuador.jpg)
Specimen Type: holotype Sex: m Institution: CAS California Academy of Sciences, San Francisco, CA, USA Photographer: Antonio Santos-Silva Collection Location: vicinity of Montecristi, Manabi, Ecuador 78102
|
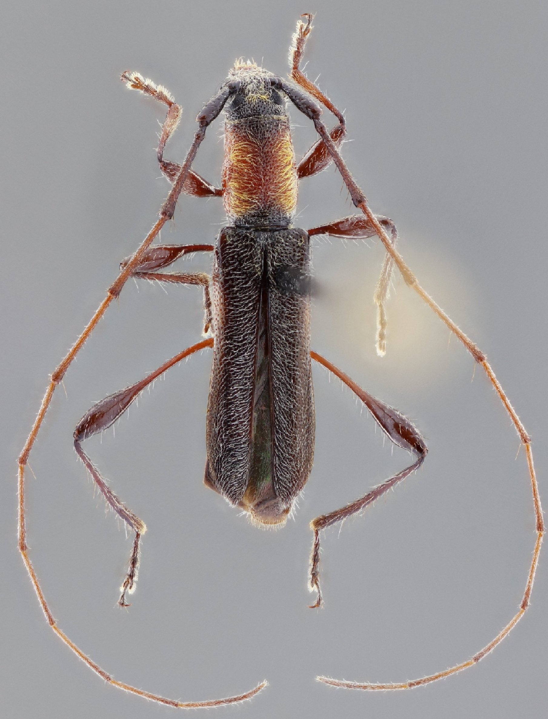
 Bez SS LGBC vic Montecristi, Manabi, Ecuador.jpg)
Specimen Type: paratype Sex: f Institution: LGBC Larry G. Bezark Collection, Sacramento, California, USA Photographer: Antonio Santos-Silva Collection Location: vicinity of Montecristi, Manabi, Ecuador 78103
|
 Bez SS LGBC vic Montecristi, Manabi, Ecuador.jpg)
Specimen Type: paratype Sex: f Institution: LGBC Larry G. Bezark Collection, Sacramento, California, USA Photographer: Antonio Santos-Silva Collection Location: vicinity of Montecristi, Manabi, Ecuador 78104
|
|