 SS FSCA Amazone Nature Lodge, Kaw pk 6, French Guiana SS.jpg)
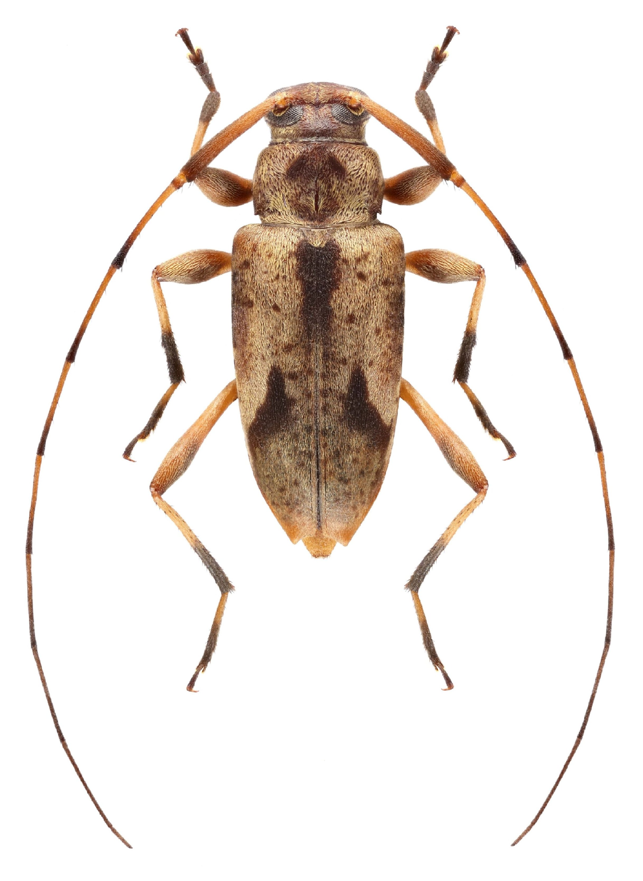
Specimen Type: holotype Sex: f Institution: FSCA Florida State Collection of Arthropods, Gainesville, FL, USA Photographer: Antonio Santos-Silva Collection Location: Amazone Nature Lodge, Kaw pk 6, French Guiana 77923
|
 SS FSCA Amazone Nature Lodge, Kaw pk 6, French Guiana SS.jpg)
Specimen Type: holotype Sex: f Institution: FSCA Florida State Collection of Arthropods, Gainesville, FL, USA Photographer: Antonio Santos-Silva Collection Location: Amazone Nature Lodge, Kaw pk 6, French Guiana 77924
|
 SS FSCA Amazone Nature Lodge, Kaw pk 6, French Guiana SS.jpg)
Specimen Type: holotype Sex: f Institution: FSCA Florida State Collection of Arthropods, Gainesville, FL, USA Photographer: Antonio Santos-Silva Collection Location: Amazone Nature Lodge, Kaw pk 6, French Guiana 77925
|
 SS FSCA Amazone Nature Lodge, Kaw pk 6, French Guiana SS.jpg)
Specimen Type: holotype Sex: f Institution: FSCA Florida State Collection of Arthropods, Gainesville, FL, USA Photographer: Antonio Santos-Silva Collection Location: Amazone Nature Lodge, Kaw pk 6, French Guiana 77926
|
 SS Kaw Mountains, Roura, French Guiana Robin.jpg)
Specimen Type: paratype Institution: Frederic Robin Collection Photographer: Frédéric Robin Collection Location: Kaw Mountains, Roura, French Guiana 79302
|
|