 Bez Bot SS FSCA 20 km S Colima, Colima, Mexico SS.jpg)
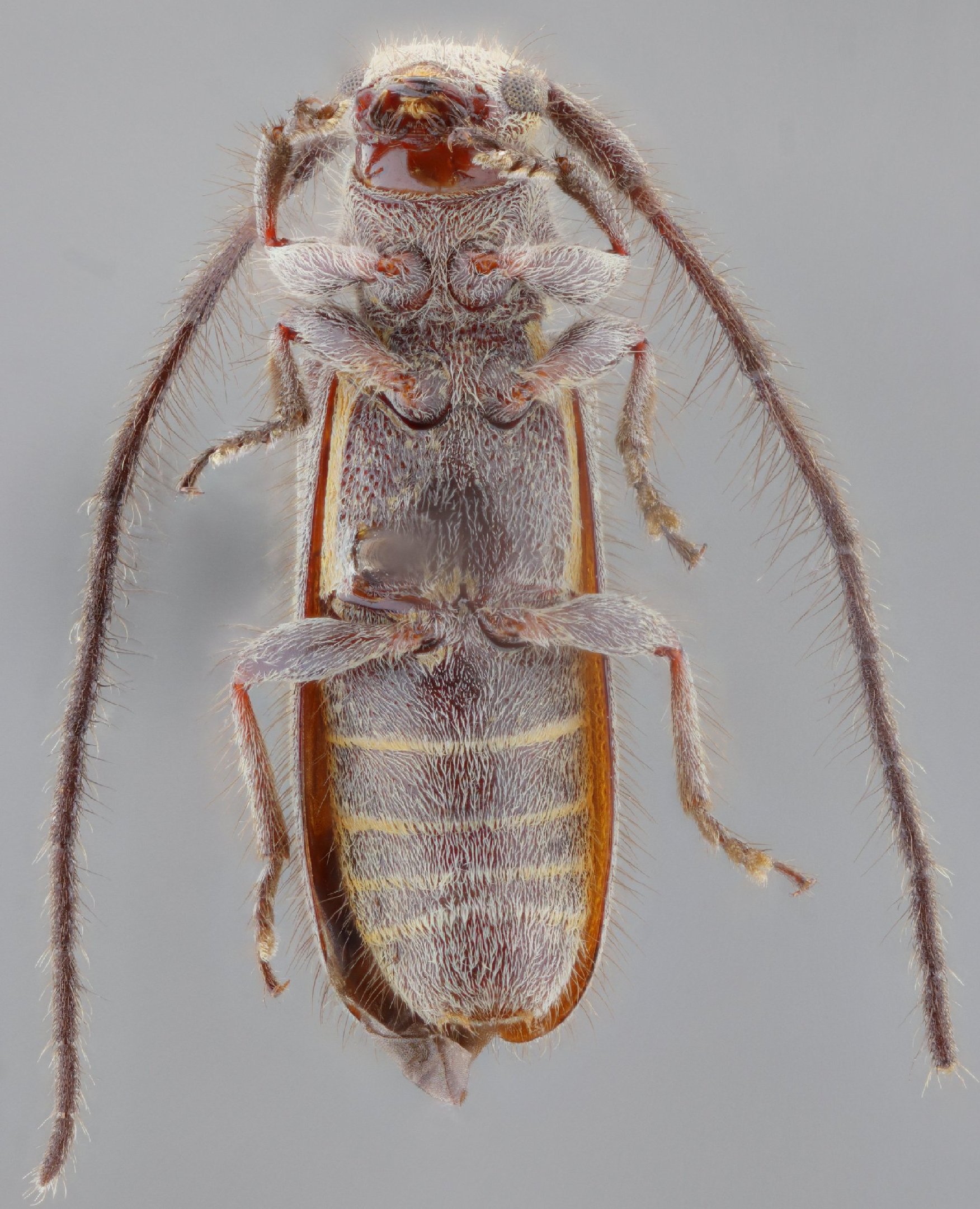
Specimen Type: holotype Sex: m Institution: FSCA Florida State Collection of Arthropods, Gainesville, FL, USA Photographer: Antonio Santos-Silva Collection Location: 20 km S Colima, Colima, Mexico 77742
|
 Bez Bot SS FSCA 20 km S Colima, Colima, Mexico SS.jpg)
Specimen Type: holotype Sex: m Institution: FSCA Florida State Collection of Arthropods, Gainesville, FL, USA Photographer: Antonio Santos-Silva Collection Location: 20 km S Colima, Colima, Mexico 77743
|
 Bez Bot SS FSCA 20 km S Colima, Colima, Mexico SS.jpg)
Specimen Type: holotype Sex: m Institution: FSCA Florida State Collection of Arthropods, Gainesville, FL, USA Photographer: Antonio Santos-Silva Collection Location: 20 km S Colima, Colima, Mexico 77744
|
 Bez Bot SS FSCA 20 km S Colima, Colima, Mexico SS.jpg)
Specimen Type: holotype Sex: m Institution: FSCA Florida State Collection of Arthropods, Gainesville, FL, USA Photographer: Antonio Santos-Silva Collection Location: 20 km S Colima, Colima, Mexico 77745
|
|