 Bez Bot SS CASC Banos Runtun, Tungurahua, Pichincha Ec.jpg)
Specimen Type: holotype Sex: m Institution: CAS California Academy of Sciences, San Francisco, CA, USA Photographer: Antonio Santos-Silva Collection Location: Banos Runtun, Tungurahua, Pichincha Ecuador 77722
|
 Bez Bot SS CASC Banos Runtun, Tungurahua, Pichincha Ec.jpg)
Specimen Type: holotype Sex: m Institution: CAS California Academy of Sciences, San Francisco, CA, USA Photographer: Antonio Santos-Silva Collection Location: Banos Runtun, Tungurahua, Pichincha Ecuador 77723
|
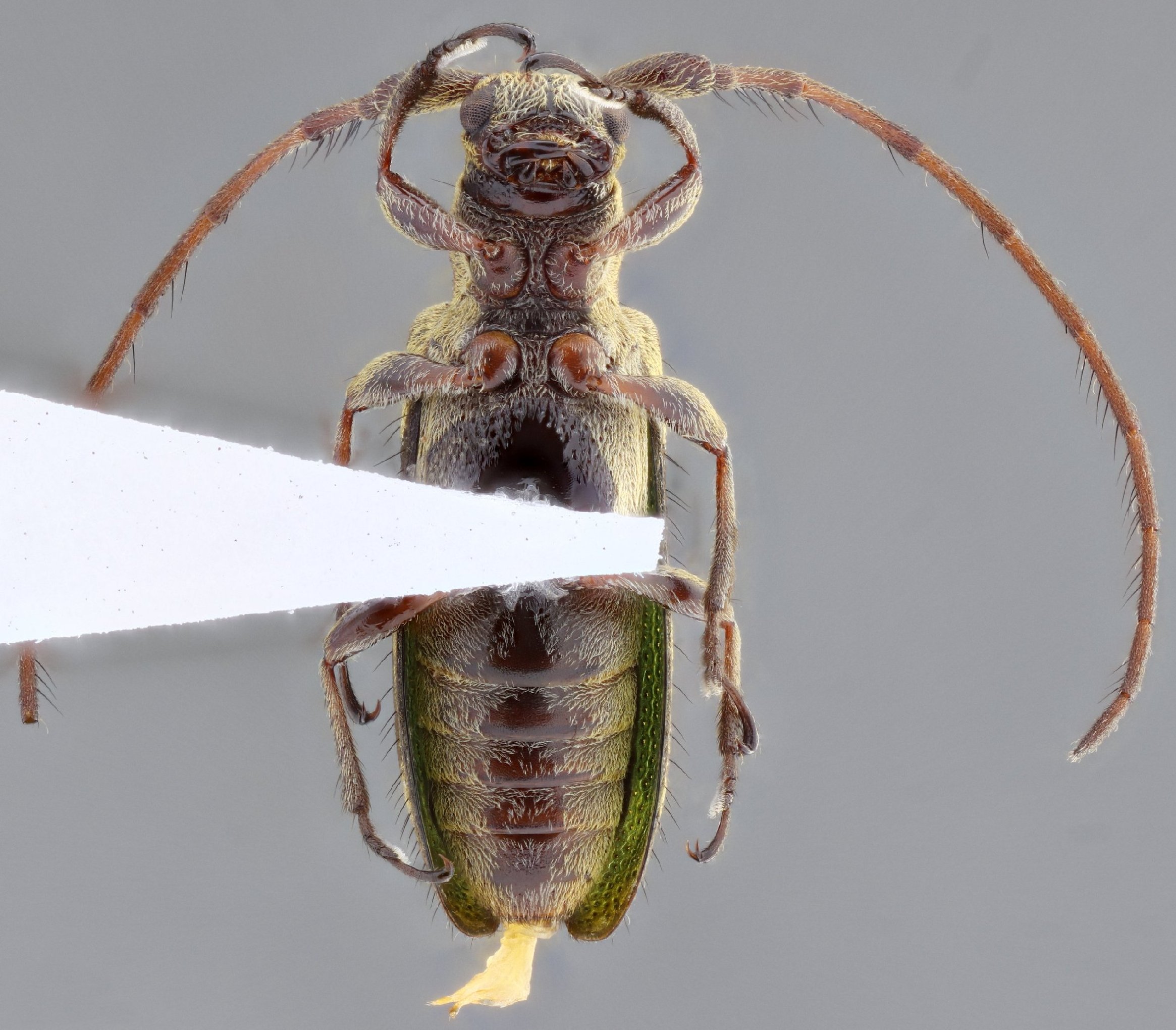
 Bez Bot SS CASC Banos Runtun, Tungurahua, Pichincha Ec.jpg)
Specimen Type: holotype Sex: m Institution: CAS California Academy of Sciences, San Francisco, CA, USA Photographer: Antonio Santos-Silva Collection Location: Banos Runtun, Tungurahua, Pichincha Ecuador 77724
|
 Bez Bot SS CASC Banos Runtun, Tungurahua, Pichincha Ec.jpg)
Specimen Type: holotype Sex: m Institution: CAS California Academy of Sciences, San Francisco, CA, USA Photographer: Antonio Santos-Silva Collection Location: Banos Runtun, Tungurahua, Pichincha Ecuador 77725
|
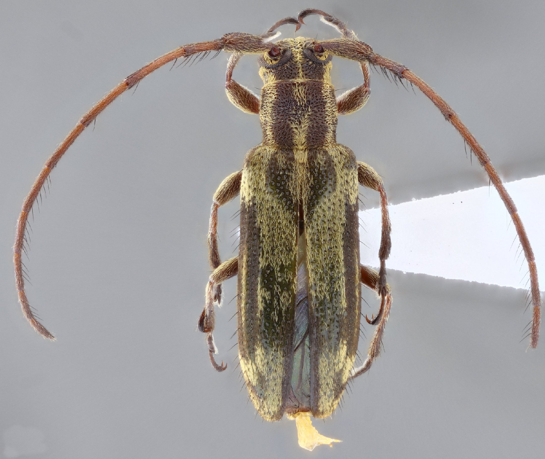
 Bez Bot SS MZSP Cosanga, Napo, Ecuador.jpg)
Specimen Type: paratype Sex: f Institution: MZSP Museu de Zoologia da Universidade de São Paulo, Brazil Photographer: Antonio Santos-Silva Collection Location: Cosanga, Napo, Ecuador 77726
|
 Bez Bot SS MZSP Cosanga, Napo, Ecuador.jpg)
Specimen Type: paratype Sex: f Institution: MZSP Museu de Zoologia da Universidade de São Paulo, Brazil Photographer: Antonio Santos-Silva Collection Location: Cosanga, Napo, Ecuador 77727
|
|