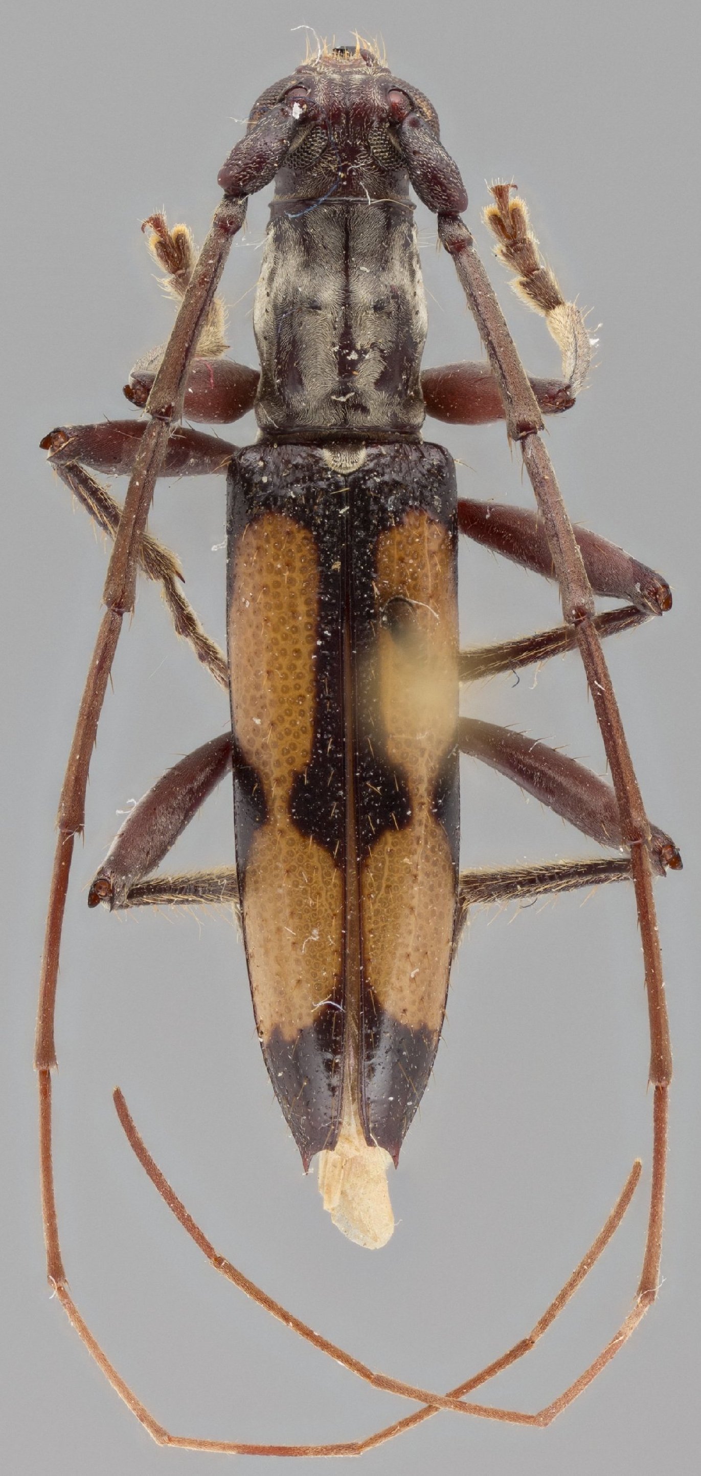
 Aud coll Bez Rte de Chepo a Torti km 44 Panama AA pic.jpg)
Specimen Type: holotype Sex: f Institution: Audureau Collection Photographer: Alain Audureau Collection Location: Route from Chepo to Torti, km 44 Panama, Panama 77653
|
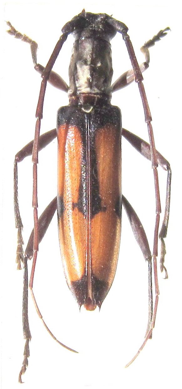
 Aud Bez CAS Bayano 1k km E Canita Panama Grinter pic.jpg)
Specimen Type: paratype Sex: m Institution: CAS California Academy of Sciences, San Francisco, CA, USA Photographer: Chris Grinter Collection Location: Bayano, 16 km E Canita, Panama, Panama 77654
|
 Aud Bez CAS Bayano 1k km E Canita Panama Grinter pic.jpg)
Specimen Type: paratype Sex: f Institution: CAS California Academy of Sciences, San Francisco, CA, USA Photographer: Chris Grinter Collection Location: Bayano, 16 km E Canita, Panama, Panama 77655
|
|