New Search Family, Subfamily and Tribe List

SubFamily Cerambycinae

Tribe Tillomorphini
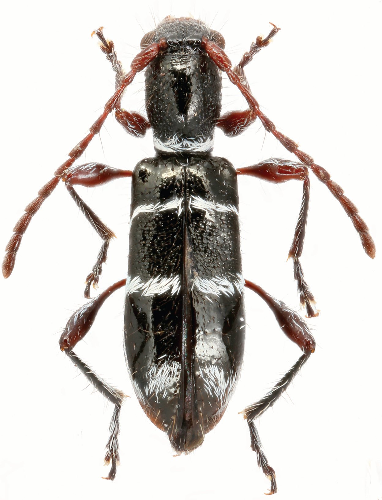
Dembickya lobanovi Kasatkin 2021

Specimen Type: holotype
Sex: f
Institution: Kasatkin Collection
Photographer: Denis Kasatkin
Collection Location: 3 km NNE Berastagi, N Sumatra, Indonesia
77455

130425