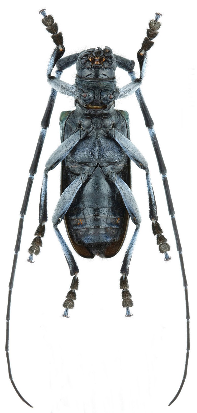
 Wang He MYNU Leidongping, Mt Emei, Leshan City, Sichuan, China.jpg)
Specimen Type: holotype Sex: m Institution: MYNU Mianyang Normal University, Mianyang, China Photographer: Cheng-Bin Wang Collection Location: Leidongping, Mt Emei, Leshan City, Sichuan, China 77424
|
 Wang He MYNU Leidongping, Mt Emei, Leshan City, Sichuan, China.jpg)
Specimen Type: holotype Sex: m Institution: MYNU Mianyang Normal University, Mianyang, China Photographer: Cheng-Bin Wang Collection Location: Leidongping, Mt Emei, Leshan City, Sichuan, China 77425
|
 Wang He coll Leidongping, Mt Emei, Leshan City, Sichuan, China.jpg)
Specimen Type: paratype Sex: f Institution: Li He Collection Photographer: Cheng-Bin Wang Collection Location: Leidongping, Mt Emei, Leshan City, Sichuan, China 77426
|
 Wang He coll Leidongping, Mt Emei, Leshan City, Sichuan, China.jpg)
Specimen Type: paratype Sex: f Institution: Li He Collection Photographer: Cheng-Bin Wang Collection Location: Leidongping, Mt Emei, Leshan City, Sichuan, China 77427
|
|