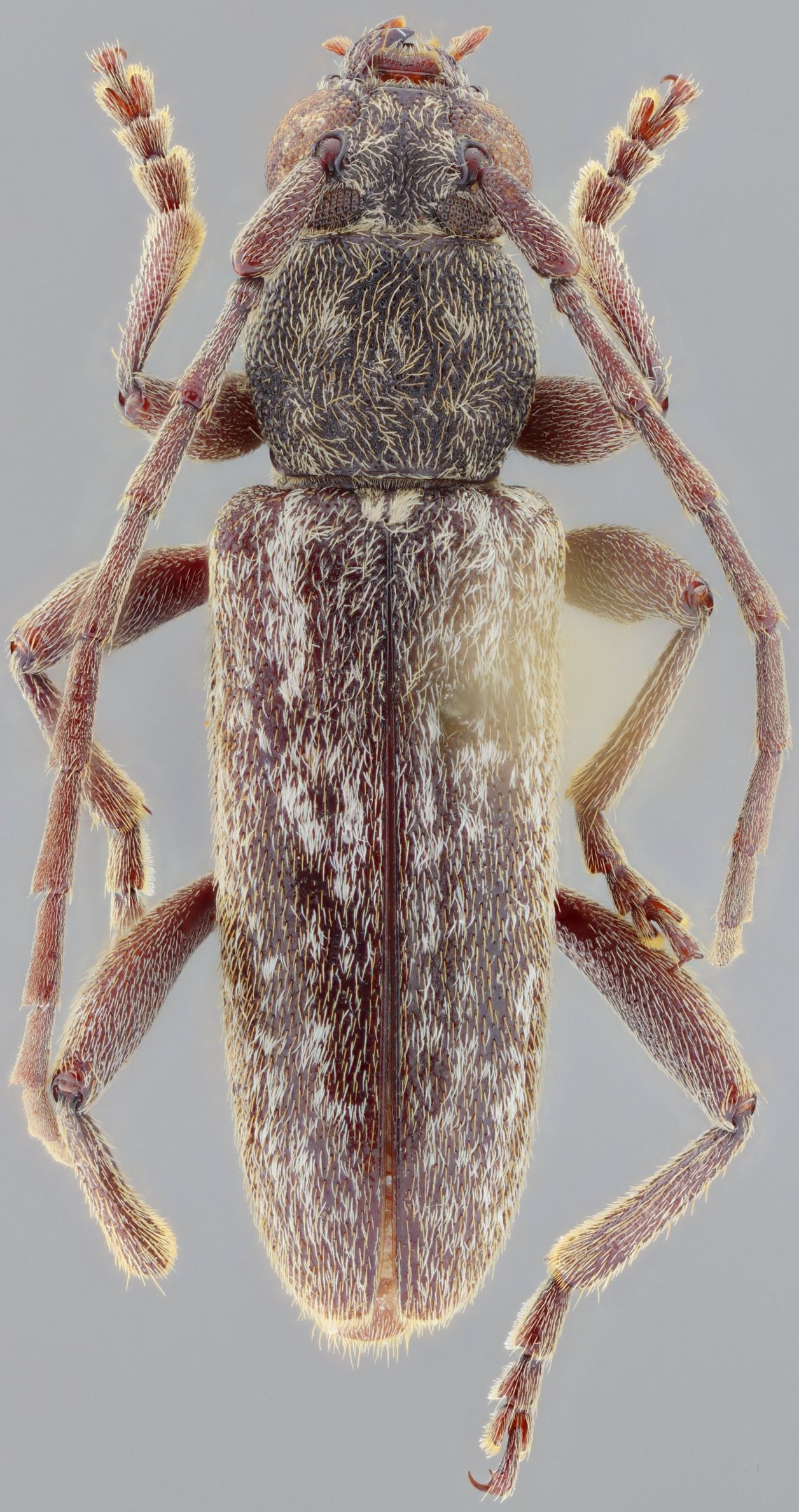
 Audureau coll Nandaime, Res Domitla, Granada, Nicaragua.jpg)
Specimen Type: holotype Sex: m Institution: Audureau Collection Photographer: Alain Audureau Collection Location: Nandaime, Reserva Domitla, Granada, Nicaragua 77352
|
 Audureau FSCA Quarry Road to San Lorenzo, Sierra Las Minas, Zacapa, Guatemala SS.jpg)
Specimen Type: paratype Sex: m Institution: FSCA Florida State Collection of Arthropods, Gainesville, FL, USA Photographer: Antonio Santos-Silva Collection Location: Quarry Road to San Lorenzo, Sierra Las Minas, Zacapa, Guatemala 77353
|
 Audureau FSCA Quarry Road to San Lorenzo, Sierra Las Minas, Zacapa, Guatemala SS.jpg)
Specimen Type: paratype Sex: m Institution: FSCA Florida State Collection of Arthropods, Gainesville, FL, USA Photographer: Antonio Santos-Silva Collection Location: Quarry Road to San Lorenzo, Sierra Las Minas, Zacapa, Guatemala 77354
|
 Audureau FSCA Quarry Road to San Lorenzo, Sierra Las Minas, Zacapa, Guatemala SS.jpg)
Specimen Type: paratype Sex: m Institution: FSCA Florida State Collection of Arthropods, Gainesville, FL, USA Photographer: Antonio Santos-Silva Collection Location: Quarry Road to San Lorenzo, Sierra Las Minas, Zacapa, Guatemala 77355
|
 Audureau FSCA Quarry Road to San Lorenzo, Sierra Las Minas, Zacapa, Guatemala SS.jpg)
Specimen Type: paratype Sex: m Institution: FSCA Florida State Collection of Arthropods, Gainesville, FL, USA Photographer: Antonio Santos-Silva Collection Location: Quarry Road to San Lorenzo, Sierra Las Minas, Zacapa, Guatemala 77356
|
 Audureau Nandaime, Res Domitla, Granada, Nicaragua SS.jpg)
Specimen Type: paratype Sex: f Photographer: Antonio Santos-Silva Collection Location: Nandaime, Res Domitla, Granada, Nicaragua 77357
|
 Audureau Nandaime, Res Domitla, Granada, Nicaragua SS.jpg)
Specimen Type: paratype Sex: f Photographer: Antonio Santos-Silva Collection Location: Nandaime, Res Domitla, Granada, Nicaragua 77358
|
|