 Viktora Coll Weigel Lai Chau, Vietnam.jpg)
Specimen Type: holotype Sex: m Institution: Viktora Collection Photographer: Petr Viktora Collection Location: Lai Chau, Vietnam 77105
|
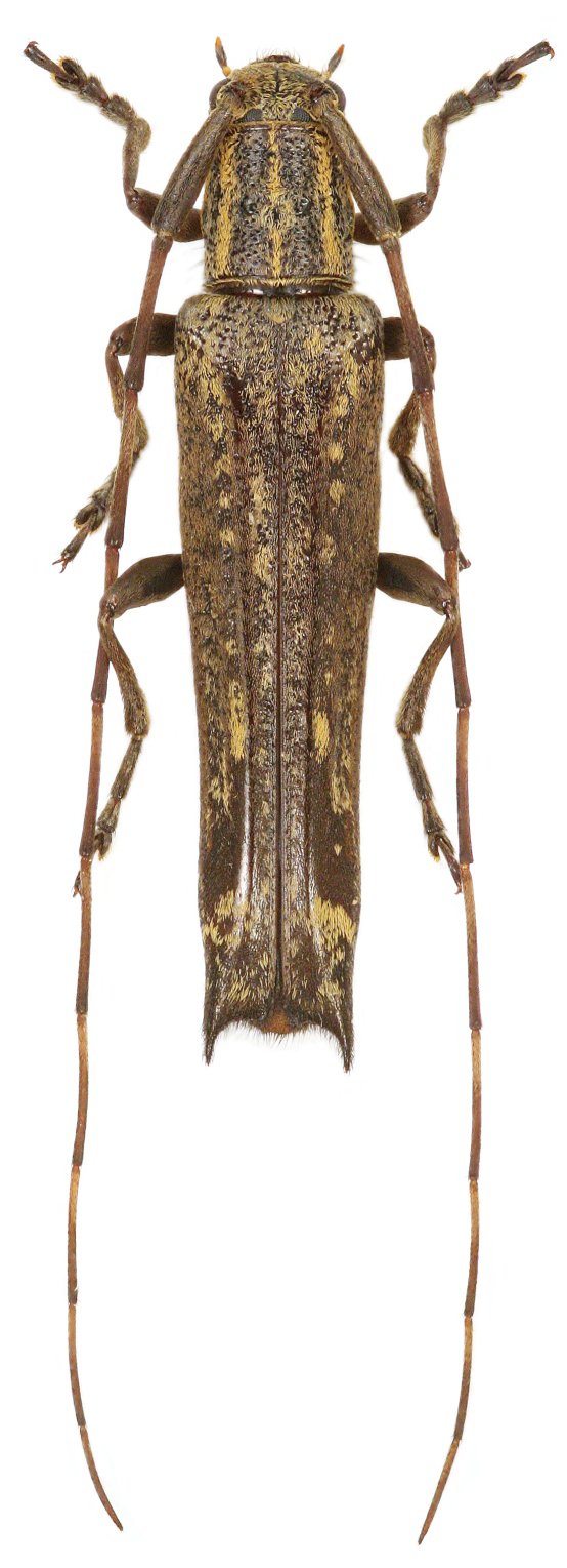
 Viktora Weigel coll Hoang Lien NP Ban, Lai Chau, Vietnam.jpg)
Specimen Type: paratype Sex: f Institution: Weigel Collection Photographer: Petr Viktora Collection Location: Lai Chau, Vietnam 77106
|