 Viktora coll Ngoc Linh, Kon Tum Province, Vietnam.jpg)
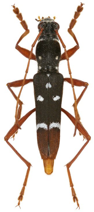
Specimen Type: holotype Sex: m Institution: Viktora Collection Photographer: Petr Viktora Collection Location: Ngoc Linh, Kontum Province, Vietnam 77114
|
 Viktora coll Ngoc Linh, Kon Tum Province, Vietnam.jpg)
Specimen Type: holotype Sex: m Institution: Viktora Collection Photographer: Petr Viktora Collection Location: Ngoc Linh, Kontum Province, Vietnam 77115
|