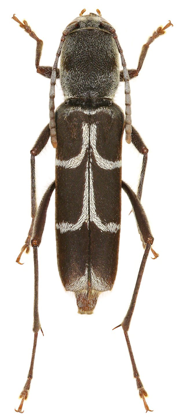
 Viktora LD coll vic Dirang, Arunachal Pradesh, NE India.jpg)
Specimen Type: holotype Sex: m Institution: Dembickyi Collection Photographer: Petr Viktora Collection Location: vic Dirang, Arunachal Pradesh, NE India 77108
|
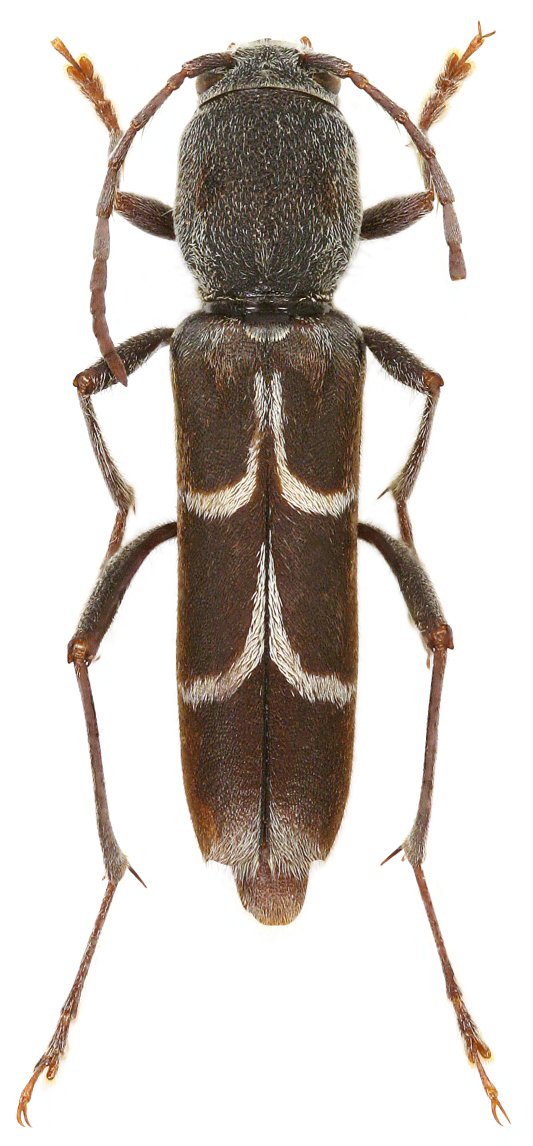
 Viktora coll vic Dirang, Arunachal Pradesh, NE India.jpg)
Specimen Type: paratype Sex: f Institution: Viktora Collection Photographer: Petr Viktora Collection Location: vic Dirang, Arunachal Pradesh, NE India 77109
|