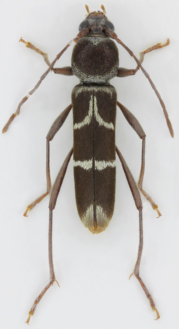
 Viktora coll Ringlet, Cameron Highlands, Pahang, Malaysia.jpg)
Specimen Type: holotype Sex: m Institution: Viktora Collection Photographer: Petr Viktora Collection Location: Ringlet, Cameron Highlands, Pahang, Malaysia 77102
|
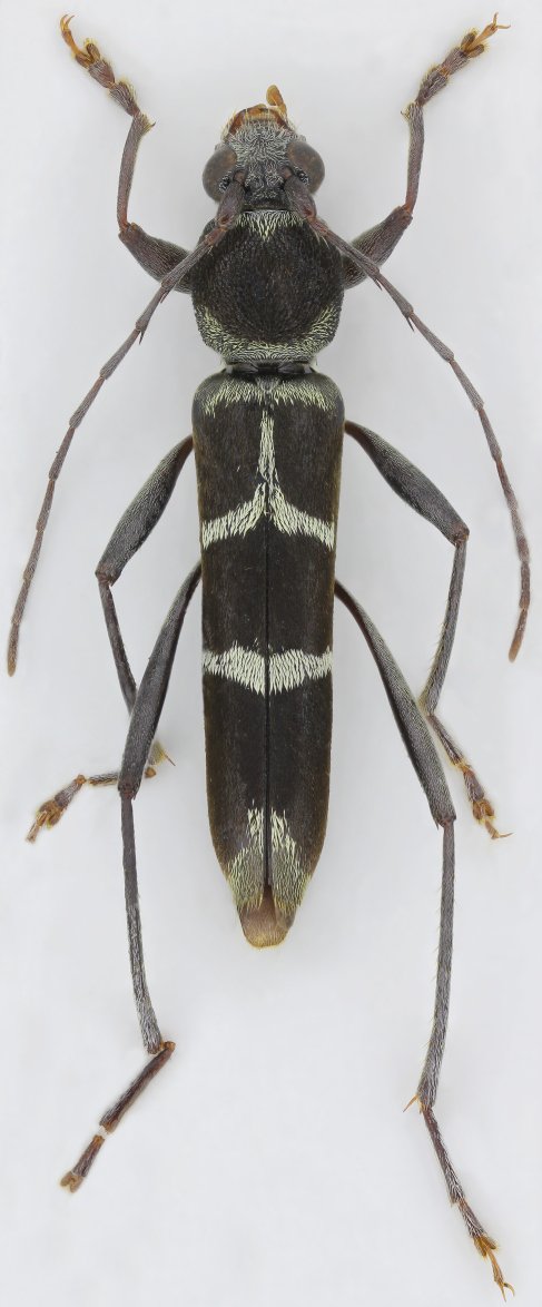
 Viktora coll Ringlet, Cameron Highlands, Pahang, Malaysia.jpg)
Specimen Type: paratype Sex: f Institution: Viktora Collection Photographer: Petr Viktora Collection Location: Ringlet, Cameron Highlands, Pahang, Malaysia 77103
|