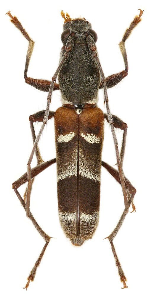
 Viktora coll Mt Son Tra, Da Nang Province, Vietnam.jpg)
Specimen Type: holotype Sex: m Institution: Viktora Collection Photographer: Petr Viktora Collection Location: Mt Son Tra, Da Nang Province, Vietnam 77100
|
 Viktora coll Mt Son Tra, Da Nang Province, Vietnam.jpg)
Specimen Type: paratype Sex: f Institution: Viktora Collection Photographer: Petr Viktora Collection Location: Mt Son Tra, Da Nang Province, Vietnam 77101
|