 Viktora coll Mt Jianfengling, Ledong Li autonomous County, Hainan, Isl, China.jpg)
Specimen Type: holotype Sex: m Institution: Viktora Collection Photographer: Petr Viktora Collection Location: Mt Jianfengling, Ledong Li Autonomous County, Hainan, Island, China 77098
|
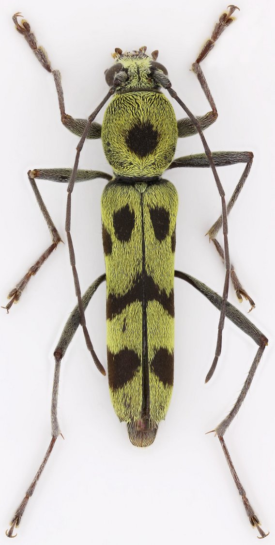
 Viktora coll Mt Jianfengling, Ledong Li autonomous County, Hainan, Isl, China.jpg)
Specimen Type: paratype Sex: f Institution: Viktora Collection Photographer: Petr Viktora Collection Location: Mt Jianfengling, Ledong Li Autonomous County, Hainan, Island, China 77099
|