New Search Family, Subfamily and Tribe List

SubFamily Cerambycinae

Tribe Clytini
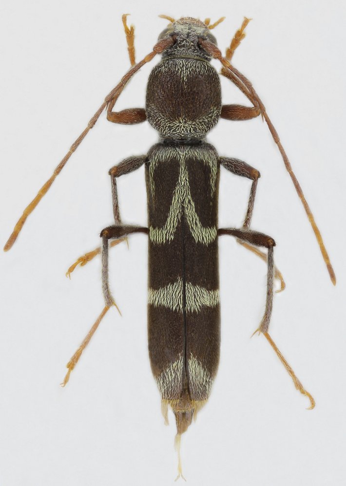
Demonax callidus Viktora 2021

Specimen Type: holotype
Sex: f
Institution: Viktora Collection
Photographer: Petr Viktora
Collection Location: Mt Salakat, Palawan, Philippines
77094

130425