New Search Family, Subfamily and Tribe List

SubFamily Cerambycinae

Tribe Clytini
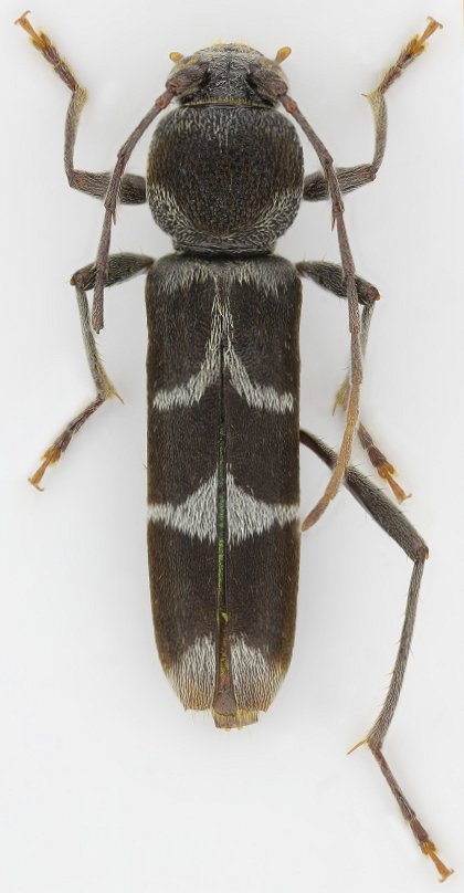
Demonax benignus Viktora 2021

Specimen Type: holotype
Sex: f
Institution: Viktora Collection
Photographer: Petr Viktora
Collection Location: vicMadi Village, Mt Bawang, Singkawang region, W Kalimantan, Indonesia
77093

130425