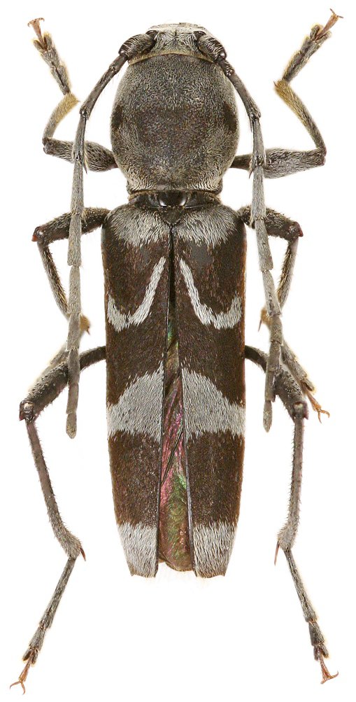
 Viktora coll Aurora Province, Luzon, Philippines.jpg)
Specimen Type: holotype Sex: m Institution: Viktora Collection Photographer: Petr Viktora Collection Location: Aurora Province, Luzon, Philippines 77090
|
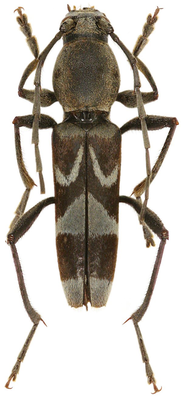
 Viktora coll Caraglan Nueva Ecija, N Luzon, Philippines.jpg)
Specimen Type: paratype Sex: f Institution: Viktora Collection Photographer: Petr Viktora Collection Location: Aurora Province, Luzon, Philippines 77091
|