 Viktora coll Ngoc Linh, Kontum Province, Vietnam.jpg)
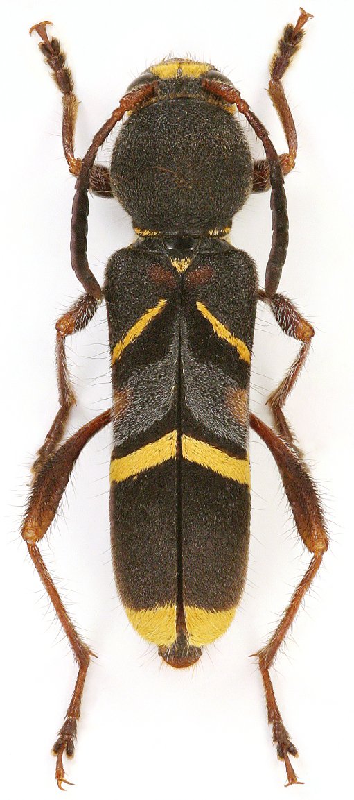
Specimen Type: holotype Sex: f Institution: Viktora Collection Photographer: Petr Viktora Collection Location: Ngoc Linh, Kontum Province, Vietnam 77088
|
 Viktora coll Ngoc Linh, Kontum Province, Vietnam.jpg)
Specimen Type: holotype Sex: f Institution: Viktora Collection Photographer: Petr Viktora Collection Location: Ngoc Linh, Kontum Province, Vietnam 77089
|