New Search Family, Subfamily and Tribe List

SubFamily Cerambycinae

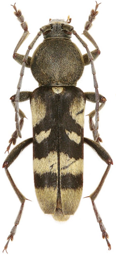
Tribe Clytini
Chlorophorus emili Viktora 2021

Specimen Type: holotype
Sex: m
Institution: Viktora Collection
Photographer: Petr Viktora
Collection Location: Daju, Yunnan, China
77086

130425