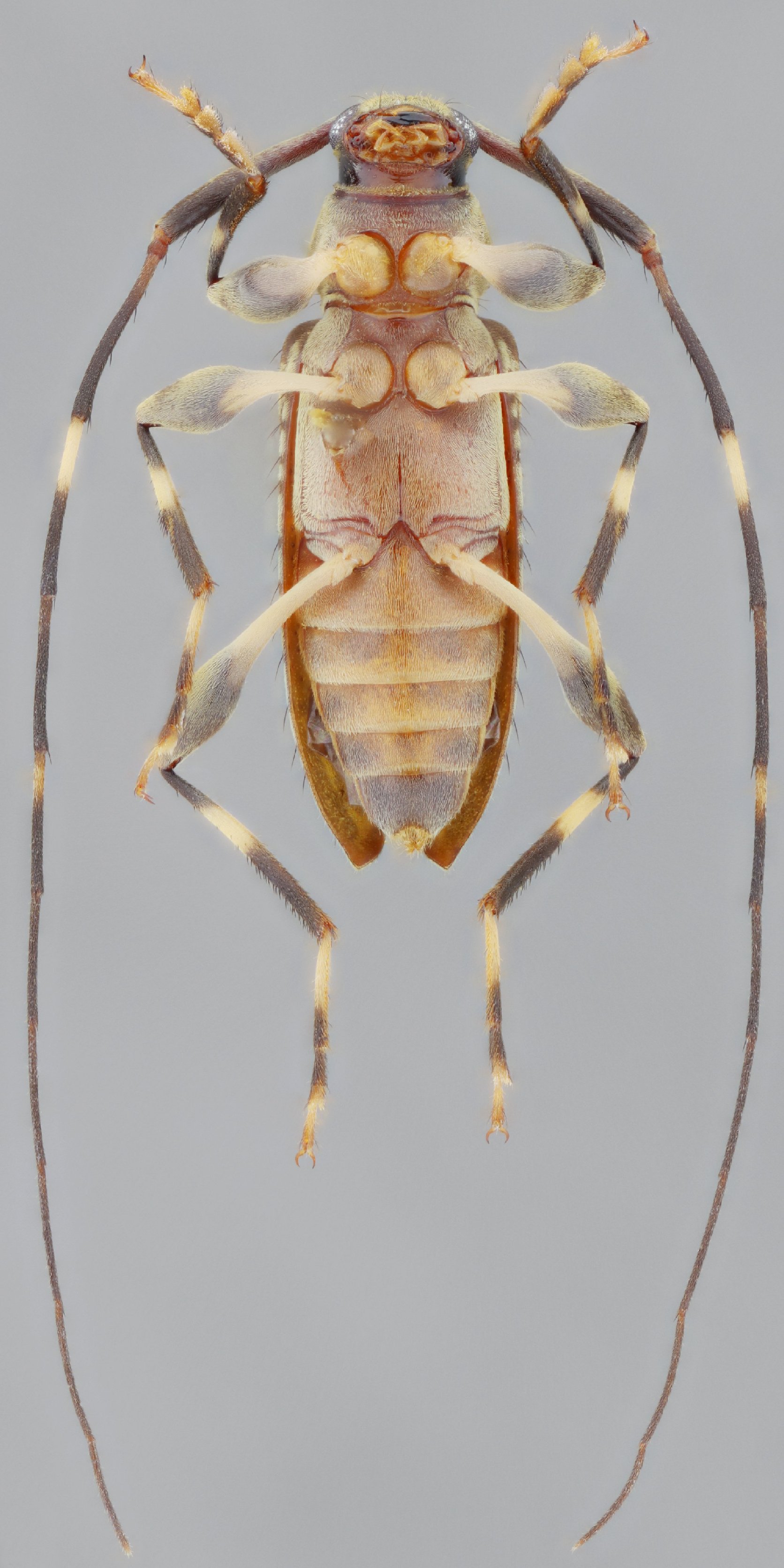
 Vlasak SS MZSP Monteverde, Santa Elena, Puntarenas, Costa Rica SS.jpg)
Specimen Type: holotype Sex: m Institution: MZSP Museu de Zoologia da Universidade de São Paulo, Brazil Photographer: Antonio Santos-Silva Collection Location: Monteverde, Santa Elena, Puntarenas, Costa Rica 77049
|
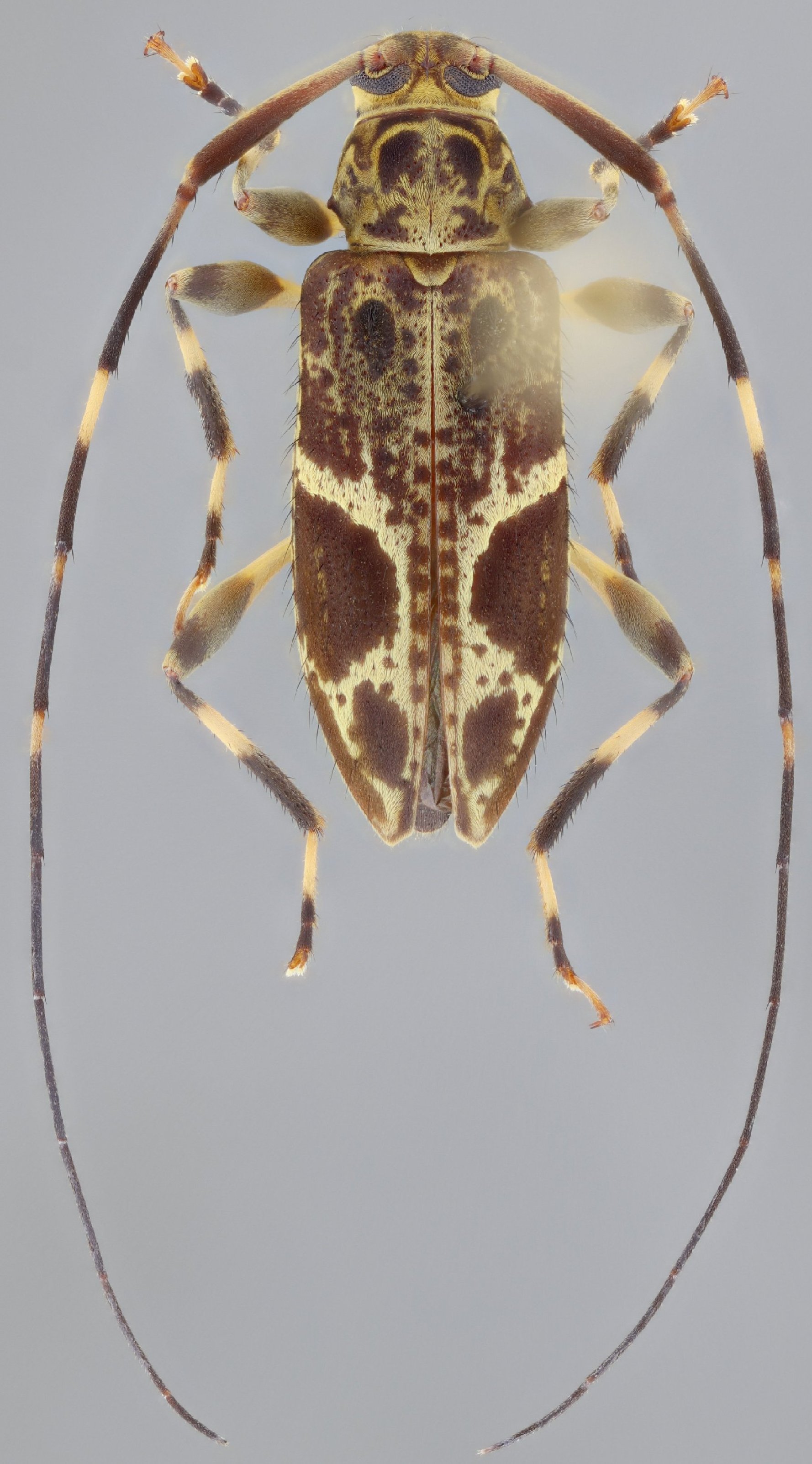
 Vlasak SS MZSP Monteverde, Santa Elena, Puntarenas, Costa Rica SS.jpg)
Specimen Type: holotype Sex: m Institution: MZSP Museu de Zoologia da Universidade de São Paulo, Brazil Photographer: Antonio Santos-Silva Collection Location: Monteverde, Santa Elena, Puntarenas, Costa Rica 77050
|
 Vlasak SS MZSP Monteverde, Santa Elena, Puntarenas, Costa Rica SS.jpg)
Specimen Type: holotype Sex: m Institution: MZSP Museu de Zoologia da Universidade de São Paulo, Brazil Photographer: Antonio Santos-Silva Collection Location: Monteverde, Santa Elena, Puntarenas, Costa Rica 77051
|
 Vlasak SS MZSP Monteverde, Santa Elena, Puntarenas, Costa Rica SS.jpg)
Specimen Type: holotype Sex: m Institution: MZSP Museu de Zoologia da Universidade de São Paulo, Brazil Photographer: Antonio Santos-Silva Collection Location: Monteverde, Santa Elena, Puntarenas, Costa Rica 77052
|
 Vlasak Coll SS Monteverde, Santa Elena, Puntarenas, Costa Rica SS.jpg)
Specimen Type: paratype Sex: f Institution: Vlasak Collection Photographer: Antonio Santos-Silva Collection Location: Monteverde, Santa Elena, Puntarenas, Costa Rica 77053
|
 Vlasak Coll SS Monteverde, Santa Elena, Puntarenas, Costa Rica SS.jpg)
Specimen Type: paratype Sex: f Institution: Vlasak Collection Photographer: Antonio Santos-Silva Collection Location: Monteverde, Santa Elena, Puntarenas, Costa Rica 77054
|
|