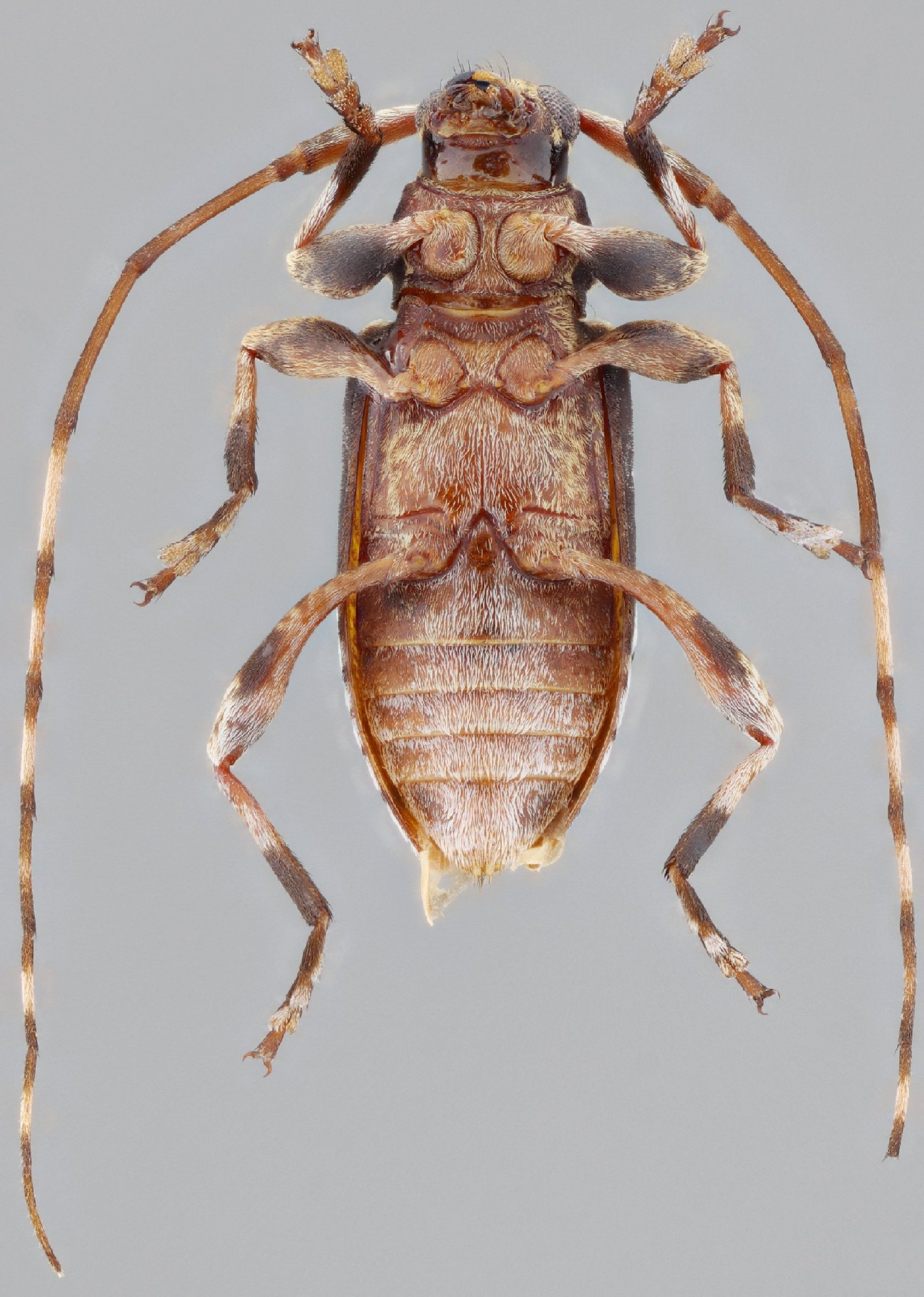
 Vlasak SS MZSP Camp Caimans, Kaw Mountain, French Guiana SS.jpg)
Specimen Type: holotype Sex: m Institution: MZSP Museu de Zoologia da Universidade de São Paulo, Brazil Photographer: Antonio Santos-Silva Collection Location: Camp Caimans, Kaw Mountain, French Guiana 77031
|
 Vlasak SS MZSP Camp Caimans, Kaw Mountain, French Guiana SS.jpg)
Specimen Type: holotype Sex: m Institution: MZSP Museu de Zoologia da Universidade de São Paulo, Brazil Photographer: Antonio Santos-Silva Collection Location: Camp Caimans, Kaw Mountain, French Guiana 77032
|
 Vlasak SS MZSP Camp Caimans, Kaw Mountain, French Guiana SS.jpg)
Specimen Type: holotype Sex: m Institution: MZSP Museu de Zoologia da Universidade de São Paulo, Brazil Photographer: Antonio Santos-Silva Collection Location: Camp Caimans, Kaw Mountain, French Guiana 77033
|
 Vlasak SS MZSP Camp Caimans, Kaw Mountain, French Guiana SS.jpg)
Specimen Type: holotype Sex: m Institution: MZSP Museu de Zoologia da Universidade de São Paulo, Brazil Photographer: Antonio Santos-Silva Collection Location: Camp Caimans, Kaw Mountain, French Guiana 77034
|
 Vlasak coll SS Camp Caimans, Kaw Mountain, French Guiana SS.jpg)
Specimen Type: paratype Sex: f Institution: Vlasak Collection Photographer: Antonio Santos-Silva Collection Location: Camp Caimans, Kaw Mountain, French Guiana 77035
|
 Vlasak coll SS Camp Caimans, Kaw Mountain, French Guiana SS.jpg)
Specimen Type: paratype Sex: f Institution: Vlasak Collection Photographer: Antonio Santos-Silva Collection Location: Camp Caimans, Kaw Mountain, French Guiana 77036
|
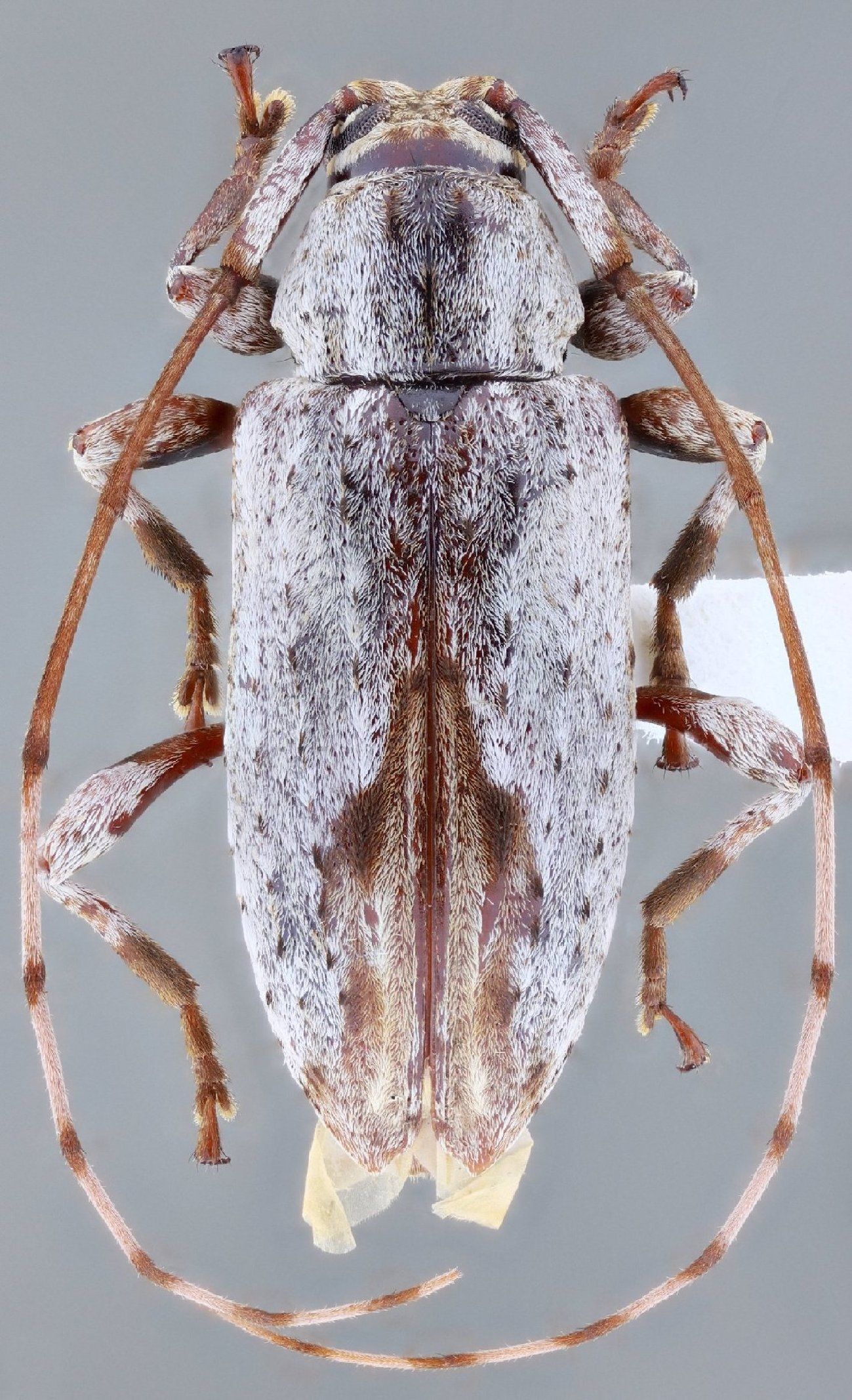
 Vlasak SS Fortuna Cabins, Ngabe-Bugle, Panama.jpg)
Sex: f Institution: Heffern Collection Photographer: Antonio Santos-Silva Collection Location: Fortuna Cabins, Ngäbe-Buglé, Panama 95318
|
 JV SS MZSP Peixe Boi, Pará, Brazil SS.jpg)
Sex: m Institution: MZSP Museu de Zoologia da Universidade de São Paulo, Brazil Photographer: Antonio Santos-Silva Collection Location: Peixe Boi, Pará, Brazil 96682
|
|