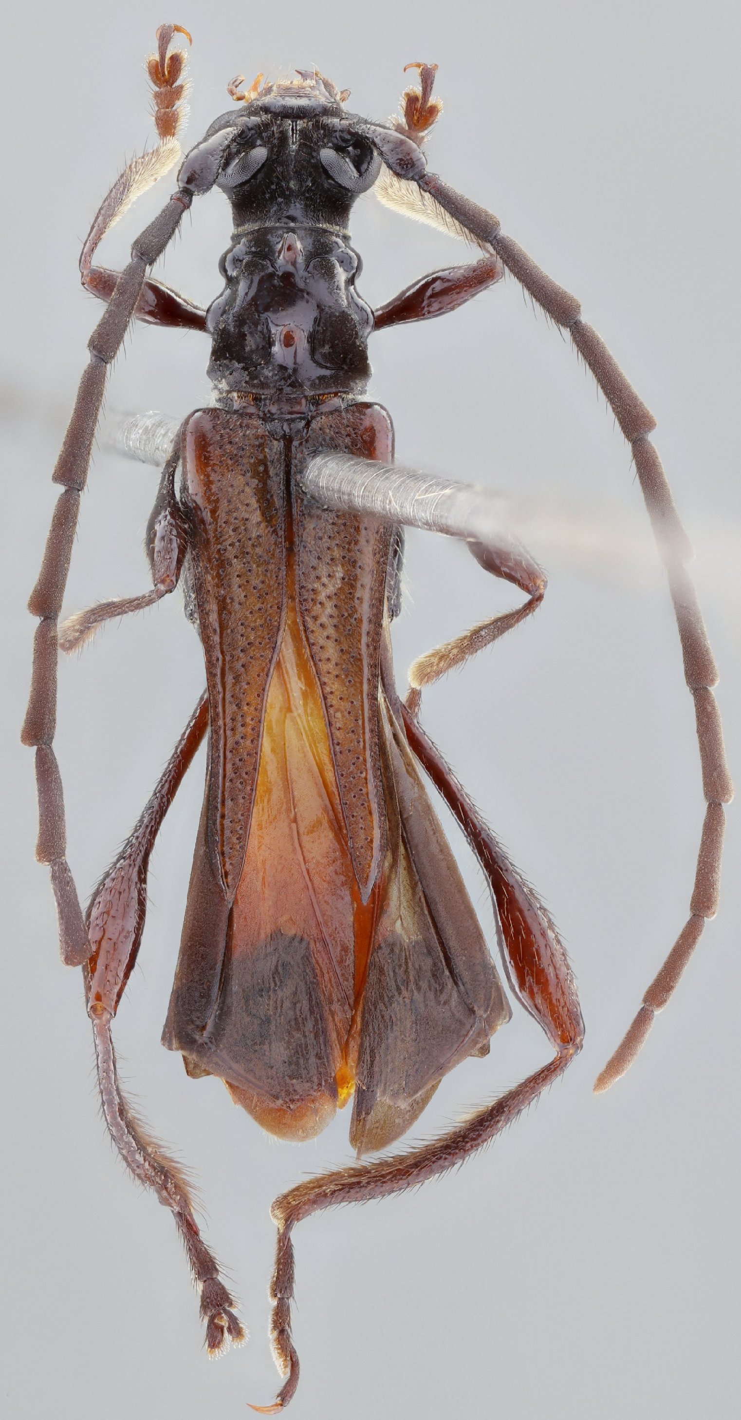
 Nasc SS FSCA vic Hornito, Chiriqui, Panama SS.jpg)
Specimen Type: holotype Sex: f Institution: FSCA Florida State Collection of Arthropods, Gainesville, FL, USA Photographer: Antonio Santos-Silva Collection Location: vic Hornito, Chiriqui, Panama 76935
|
 Nasc SS FSCA vic Hornito, Chiriqui, Panama SS.jpg)
Specimen Type: holotype Sex: f Institution: FSCA Florida State Collection of Arthropods, Gainesville, FL, USA Photographer: Antonio Santos-Silva Collection Location: vic Hornito, Chiriqui, Panama 76936
|
 Nasc SS FSCA vic Hornito, Chiriqui, Panama SS.jpg)
Specimen Type: holotype Sex: f Institution: FSCA Florida State Collection of Arthropods, Gainesville, FL, USA Photographer: Antonio Santos-Silva Collection Location: vic Hornito, Chiriqui, Panama 76937
|
 Nasc SS FSCA vic Hornito, Chiriqui, Panama SS.jpg)
Specimen Type: holotype Sex: f Institution: FSCA Florida State Collection of Arthropods, Gainesville, FL, USA Photographer: Antonio Santos-Silva Collection Location: vic Hornito, Chiriqui, Panama 76938
|
 Nasc SS MZSP Volcan Cacao, Estacion Mengo, Guanacaste, CR SS.jpg)
Specimen Type: paratype Sex: m Institution: MZSP Museu de Zoologia da Universidade de São Paulo, Brazil Photographer: Antonio Santos-Silva Collection Location: Volcan Cacao, Estacion Mengo, Guanacaste, CR 76939
|
 Nasc SS MZSP Volcan Cacao, Estacion Mengo, Guanacaste, CR SS.jpg)
Specimen Type: paratype Sex: m Institution: MZSP Museu de Zoologia da Universidade de São Paulo, Brazil Photographer: Antonio Santos-Silva Collection Location: Volcan Cacao, Estacion Mengo, Guanacaste, CR 76940
|
|