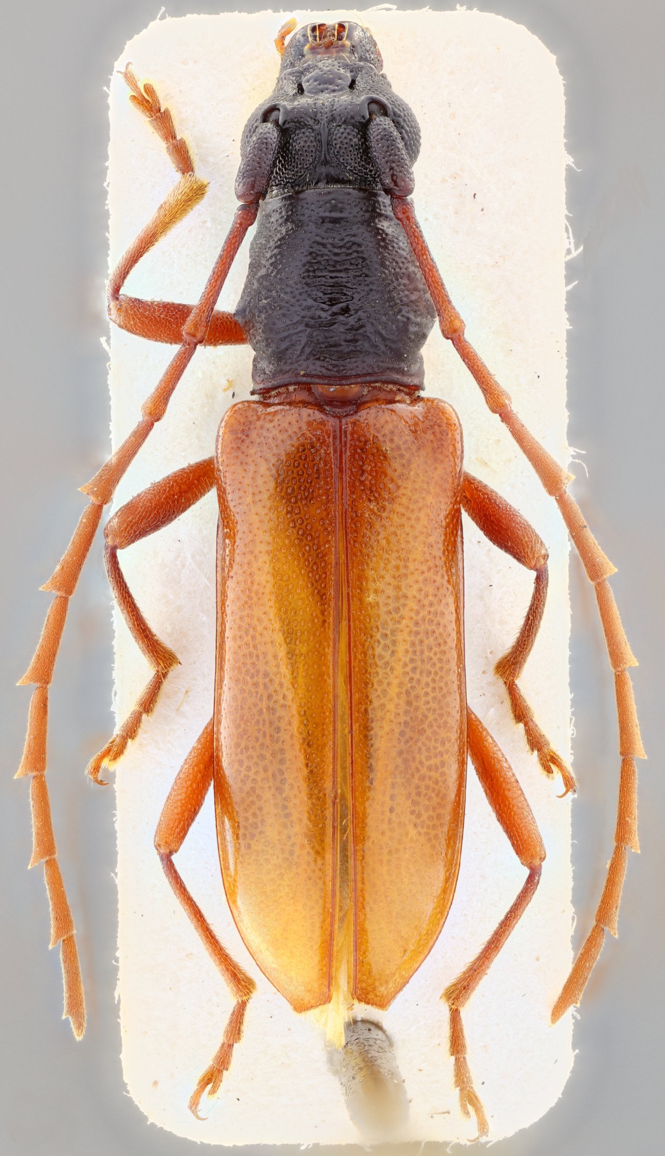
 SS Garcia Botero FSCA Kaw Road pk 41, French Guiana SS.jpg)
Specimen Type: holotype Sex: m Institution: FSCA Florida State Collection of Arthropods, Gainesville, FL, USA Photographer: Antonio Santos-Silva Collection Location: Kaw Road pk 41, French Guiana 76912
|
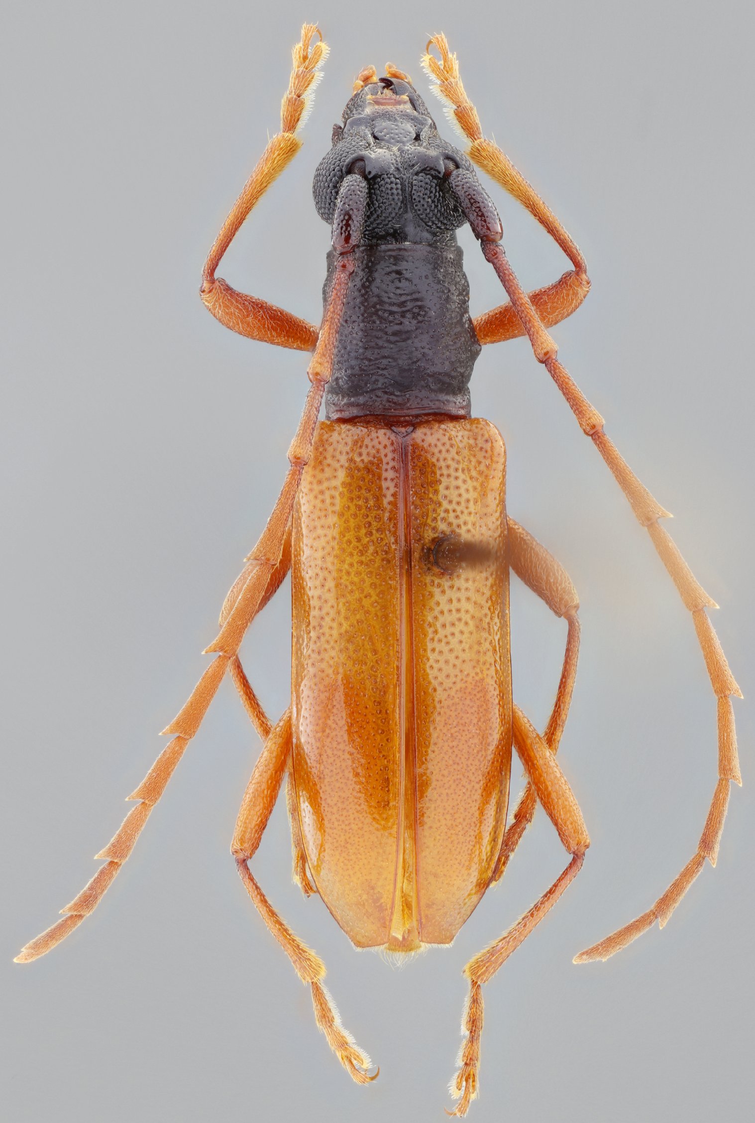
 SS Garcia Botero FSCA Kaw Road pk 41, French Guiana SS.jpg)
Specimen Type: holotype Sex: m Institution: FSCA Florida State Collection of Arthropods, Gainesville, FL, USA Photographer: Antonio Santos-Silva Collection Location: Kaw Road pk 41, French Guiana 76913
|
 SS Garcia Botero FSCA Kaw Road pk 41, French Guiana SS.jpg)
Specimen Type: holotype Sex: m Institution: FSCA Florida State Collection of Arthropods, Gainesville, FL, USA Photographer: Antonio Santos-Silva Collection Location: Kaw Road pk 41, French Guiana 76914
|
 SS Garcia Botero FSCA Kaw Road pk 41, French Guiana SS.jpg)
Specimen Type: holotype Sex: m Institution: FSCA Florida State Collection of Arthropods, Gainesville, FL, USA Photographer: Antonio Santos-Silva Collection Location: Kaw Road pk 41, French Guiana 76915
|
 SS Garcia Botero MSSP Kaw Road pk 46, French Guiana SS.jpg)
Specimen Type: paratype Sex: f Institution: MZSP Museu de Zoologia da Universidade de São Paulo, Brazil Photographer: Antonio Santos-Silva Collection Location: Kaw Road pk 46, French Guiana 76916
|
|