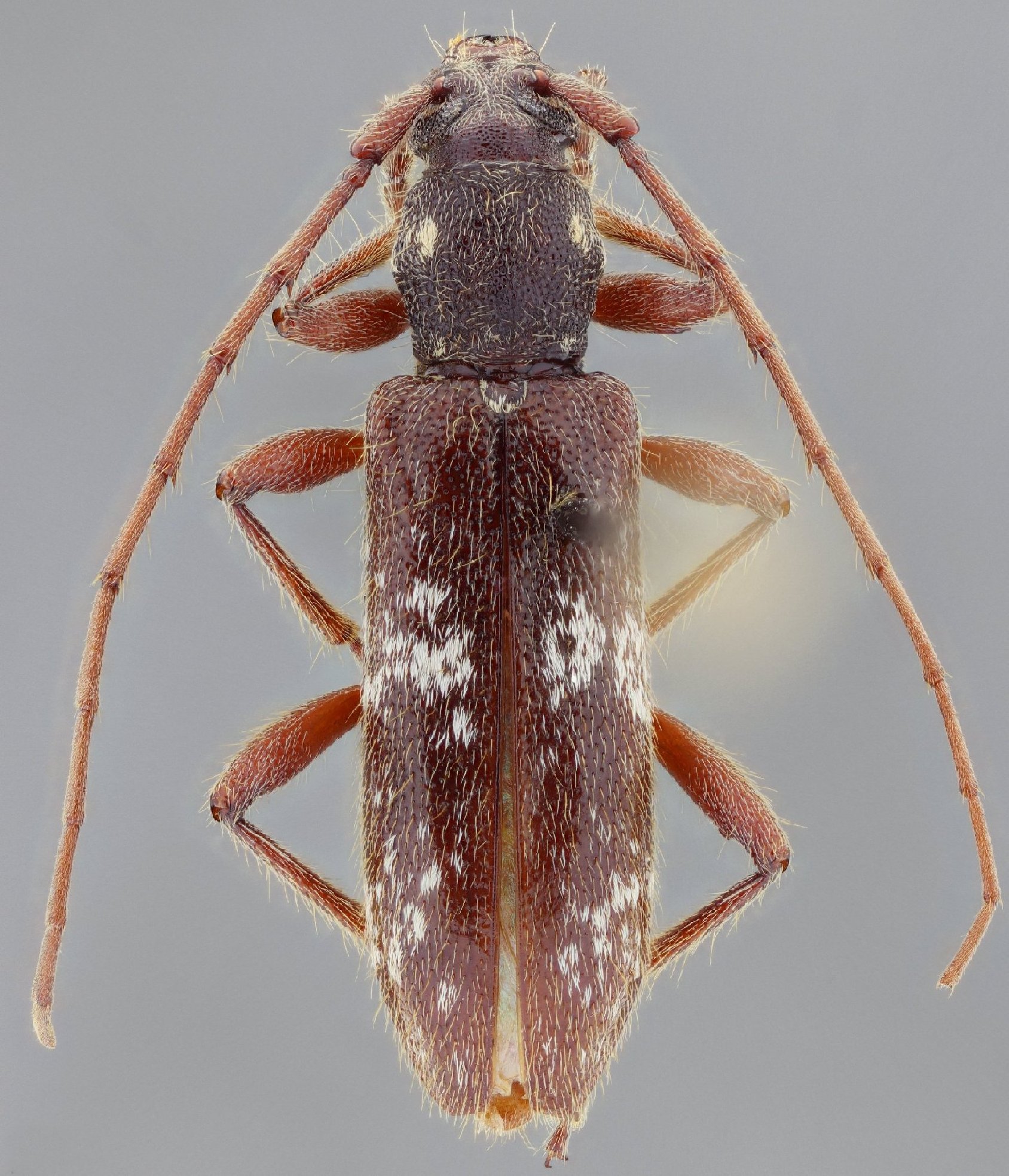
 SS FSCA Sierra las Minas, rd to San Lorenzo, Zacapa, Guatemala.jpg)
Specimen Type: holotype Sex: f Institution: FSCA Florida State Collection of Arthropods, Gainesville, FL, USA Photographer: Antonio Santos-Silva Collection Location: Sierra las Minas, rd to San Lorenzo, Zacapa, Guatemala 76658
|
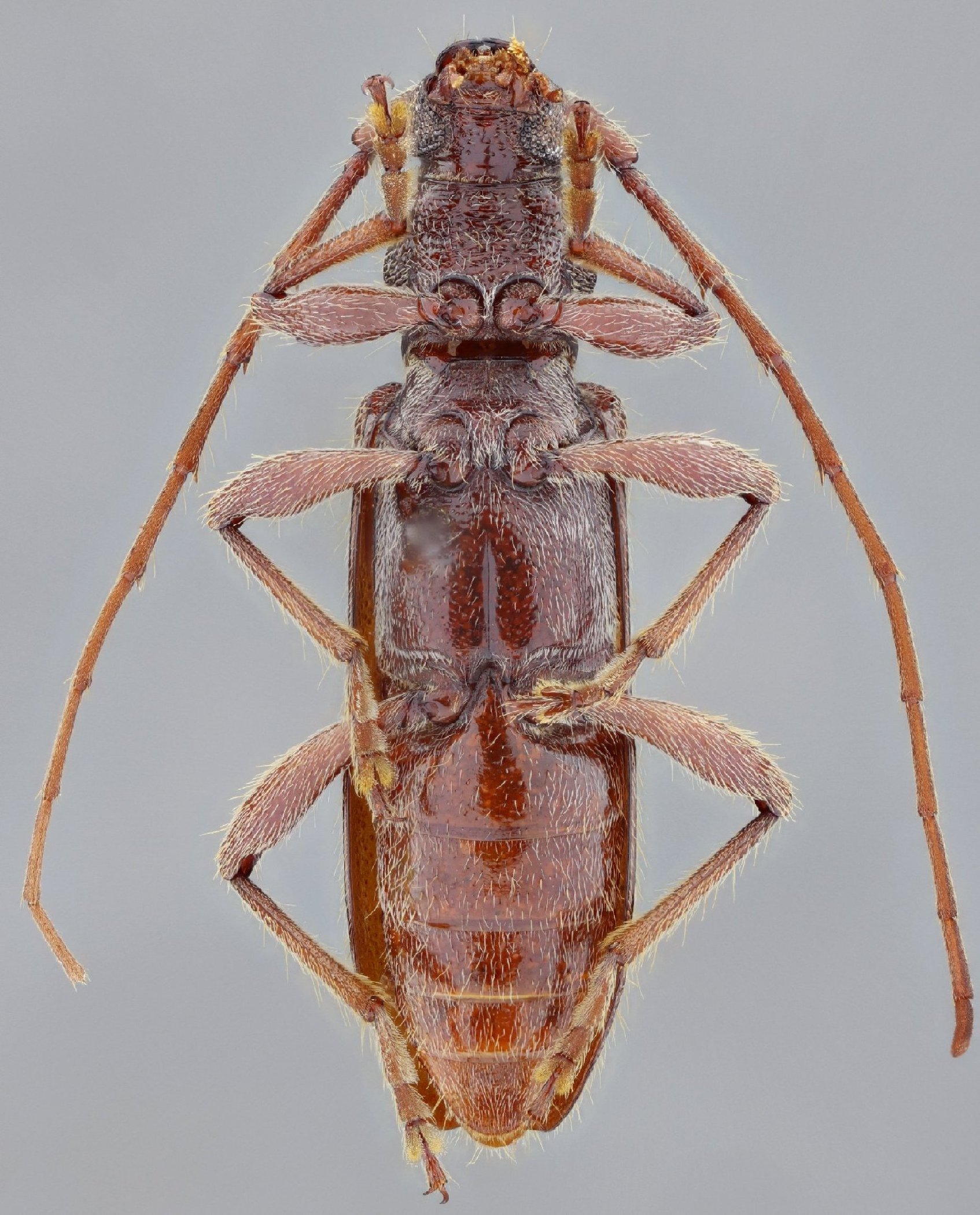
 SS FSCA Sierra las Minas, rd to San Lorenzo, Zacapa, Guatemala.jpg)
Specimen Type: holotype Sex: f Institution: FSCA Florida State Collection of Arthropods, Gainesville, FL, USA Photographer: Antonio Santos-Silva Collection Location: Sierra las Minas, rd to San Lorenzo, Zacapa, Guatemala 76659
|
 SS FSCA Sierra las Minas, rd to San Lorenzo, Zacapa, Guatemala.jpg)
Specimen Type: holotype Sex: f Institution: FSCA Florida State Collection of Arthropods, Gainesville, FL, USA Photographer: Antonio Santos-Silva Collection Location: Sierra las Minas, rd to San Lorenzo, Zacapa, Guatemala 76660
|
 SS FSCA Sierra las Minas, rd to San Lorenzo, Zacapa, Guatemala.jpg)
Specimen Type: holotype Sex: f Institution: FSCA Florida State Collection of Arthropods, Gainesville, FL, USA Photographer: Antonio Santos-Silva Collection Location: Sierra las Minas, rd to San Lorenzo, Zacapa, Guatemala 76661
|
|