New Search Family, Subfamily and Tribe List

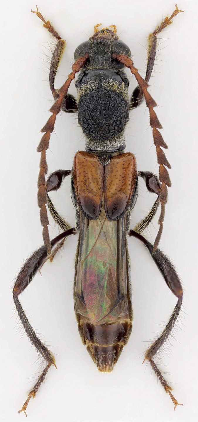
SubFamily Cerambycinae

Tribe Molorchini
Malayanomolorchus bawangensis Viktora 2021

Specimen Type: holotype
Sex: m
Institution: Viktora Collection
Photographer: Petr Viktora
Collection Location: vic Madi Village, Mt Bawang, West Kalimantan, Indonesia
76609

130425