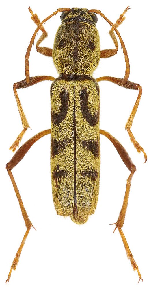
 Viktora Coll Nong Fa Crater, Dong Amnphan, Annam Highlands, Attapeu, Laos.jpg)
Specimen Type: holotype Sex: m Institution: Viktora Collection Photographer: Petr Viktora Collection Location: Nong Fa Crater, Dong Amnphan, Annam Highlands, Attapeu, Laos 76616
|
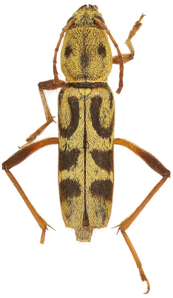
 Viktora Coll Nong Fa Crater, Dong Amnphan, Annam Highlands, Attapeu, Laos.jpg)
Specimen Type: paratype Sex: f Institution: Viktora Collection Photographer: Petr Viktora Collection Location: Nong Fa Crater, Dong Amnphan, Annam Highlands, Attapeu, Laos 76617
|