New Search Family, Subfamily and Tribe List

SubFamily Cerambycinae

Tribe Clytini
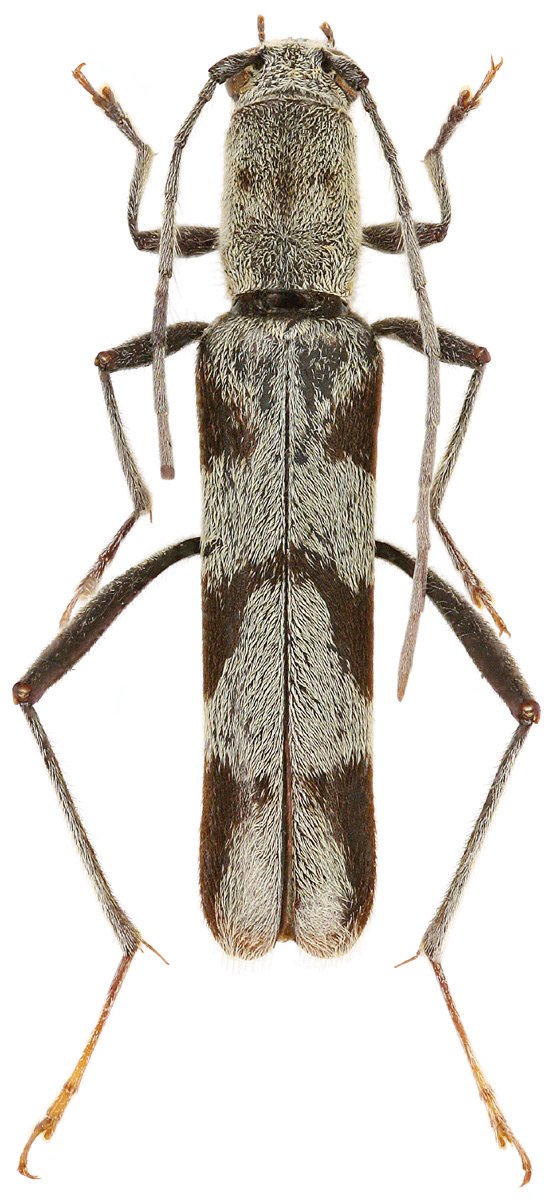
Xylotrechus hergovitsi Viktora 2021

Specimen Type: holotype
Sex: m
Institution: Viktora Collection
Photographer: Petr Viktora
Collection Location: Banjaran, Crocker Range, Sabah, Borneo
76615

130425