New Search Family, Subfamily and Tribe List

SubFamily Cerambycinae

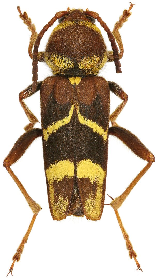
Tribe Clytini
Xylotrechus haveli Viktora 2021

Specimen Type: holotype
Sex: f
Institution: Viktora Collection
Photographer: Petr Viktora
Collection Location: Lai Chau, Vietnam
76614

130425