New Search Family, Subfamily and Tribe List

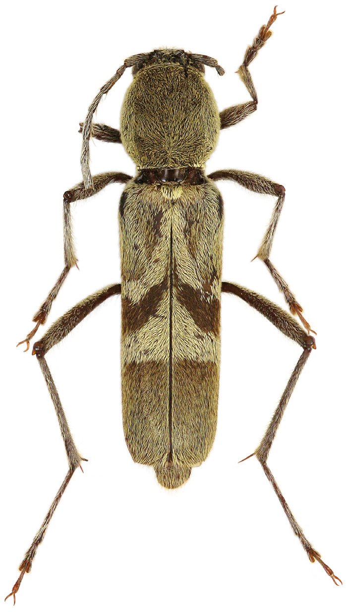
SubFamily Cerambycinae

Tribe Clytini
Xylotrechus havai Viktora 2021

Specimen Type: holotype
Sex: m
Institution: Viktora Collection
Photographer: Petr Viktora
Collection Location: Mt Phu Pane, Huan Phan Province, Laos
76613

130425