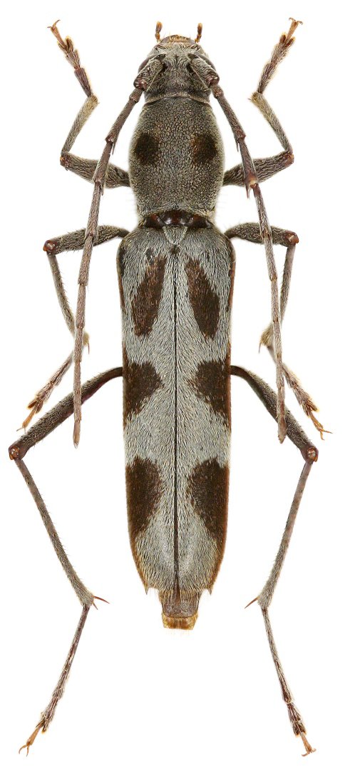
 Viktora Coll Mt Jasar, Tahan Rata, Cameron Highlands, Malaysia.jpg)
Specimen Type: holotype Sex: m Institution: Viktora Collection Photographer: Petr Viktora Collection Location: Mt Jasar, Tahan Rata, Cameron Highlands, Malaysia 76555
|
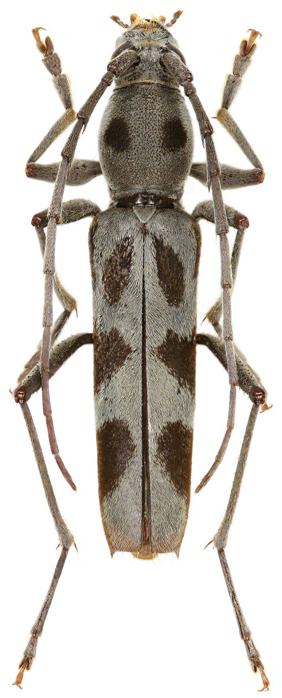
 Viktora Coll Mt Jasar, Tahan Rata, Cameron Highlands, Malaysia.jpg)
Specimen Type: paratype Sex: f Institution: Viktora Collection Photographer: Petr Viktora Collection Location: Mt Jasar, Tahan Rata, Cameron Highlands, Malaysia 76556
|