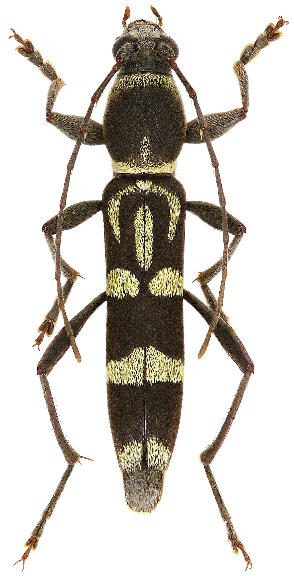
 Viktora Coll Dong Tien, Binh Thuan Province, Vietnam.jpg)
Specimen Type: holotype Sex: m Institution: Viktora Collection Photographer: Petr Viktora Collection Location: Dong Tien, Binh Thuan Province, Vietnam 76602
|
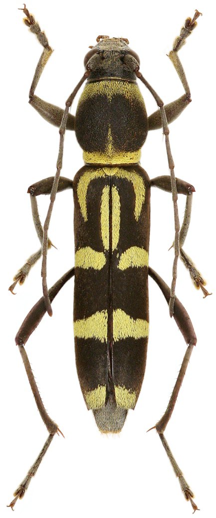
 Viktora Coll Dong Tien, Binh Thuan Province, Vietnam.jpg)
Specimen Type: paratype Sex: f Institution: Viktora Collection Photographer: Petr Viktora Collection Location: Dong Tien, Binh Thuan Province, Vietnam 76603
|