 Viktora Coll Bapo Village, Mt Gaoligongshan, Gongshan Co, Yunnan, China.jpg)
Specimen Type: holotype Sex: m Institution: Viktora Collection Photographer: Petr Viktora Collection Location: Bapo Village, Mt Gaoligongshan, Gongshan Co, Yunnan, China 76596
|
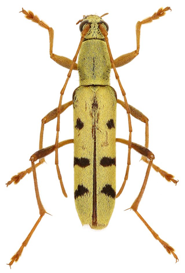
 Viktora Coll Bapo Village, Mt Gaoligongshan, Gongshan Co, Yunnan, China.jpg)
Specimen Type: paratype Sex: f Institution: Viktora Collection Photographer: Petr Viktora Collection Location: Bapo Village, Mt Gaoligongshan, Gongshan Co, Yunnan, China 76597
|