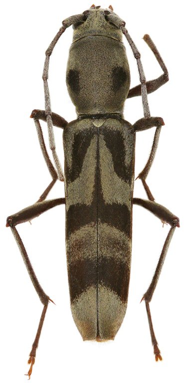
 Viktora Coll Ban Khoun Nguen, Khammouan Province C Laos.jpg)
Specimen Type: holotype Sex: m Institution: Viktora Collection Photographer: Petr Viktora Collection Location: Ban Khoun Nguen, Khammouan Province C Laos 76559
|
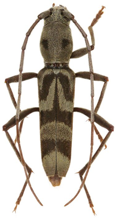
 Viktora Coll Ban Khoun Nguen, Khammouan Province C Laos.jpg)
Specimen Type: paratype Sex: f Institution: Viktora Collection Photographer: Petr Viktora Collection Location: Ban Khoun Nguen, Khammouan Province C Laos 76560
|