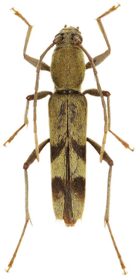
 Viktora Coll Ha Giang, Vietnam.jpg)
Specimen Type: holotype Sex: m Institution: Viktora Collection Photographer: Petr Viktora Collection Location: Ha Giang Province, Vietnam 76551
|
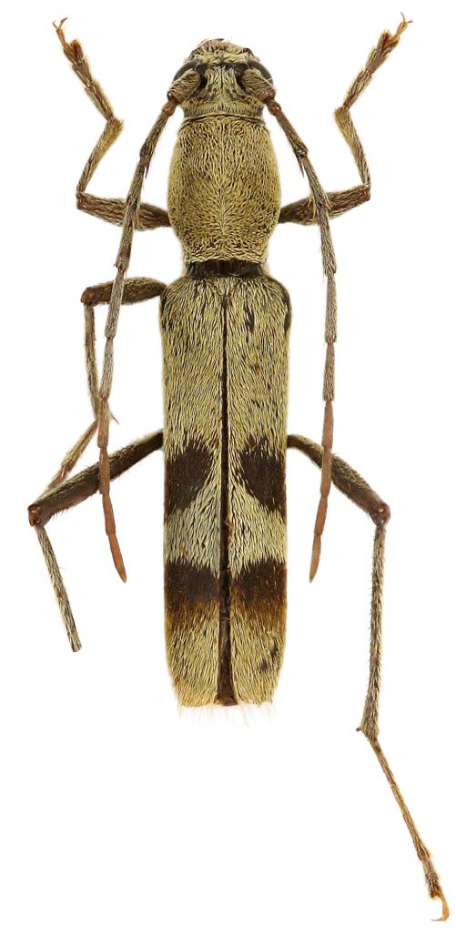
 Viktora Coll Ha Giang, Vietnam.jpg)
Specimen Type: paratype Sex: f Institution: Viktora Collection Photographer: Petr Viktora Collection Location: Ha Giang Province, Vietnam 76552
|