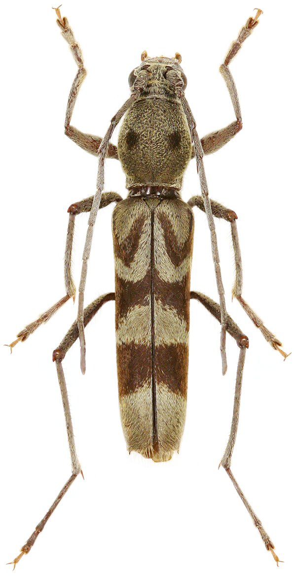
 Viktora Coll Mt Phu Pane, Hua Phan Prov, NE Laos.jpg)
Specimen Type: holotype Sex: m Institution: Viktora Collection Photographer: Petr Viktora Collection Location: Mt Phu Pane, Hua Phan Province, NE Laos 76546
|
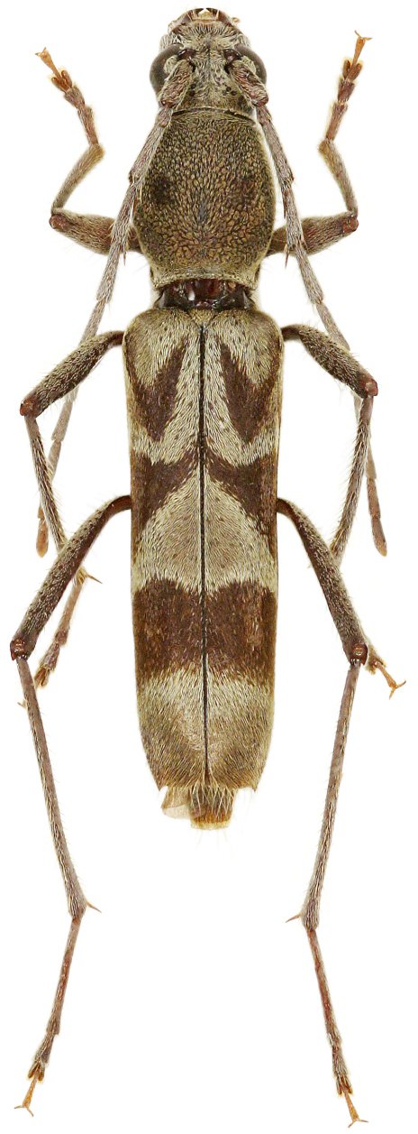
 Viktora Coll Mt Phu Pane, Hua Phan Prov, NE Laos.jpg)
Specimen Type: paratype Sex: f Institution: Viktora Collection Photographer: Petr Viktora Collection Location: Mt Phu Pane, Hua Phan Province, NE Laos 76547
|