 Viktora Weigel IZAS Ailaoshan, Pchu-er Prefecture, Yunnan China.jpg)
Specimen Type: holotype Sex: m Institution: IZAS Zoological Institute, Chinese Academy of Sciences, Beijing, China Photographer: Petr Viktora Collection Location: Ailaoshan, Pchu-er Prefecture, Yunnan China 76593
|
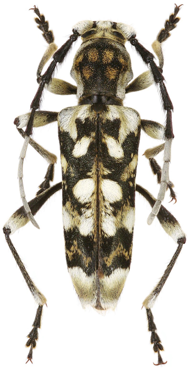
 Viktora Weigel IZAS Ailaoshan, Pchu-er Prefecture, Yunnan China.jpg)
Specimen Type: paratype Sex: f Institution: IZAS Zoological Institute, Chinese Academy of Sciences, Beijing, China Photographer: Petr Viktora Collection Location: Ailaoshan, Pchu-er Prefecture, Yunnan China 76594
|