New Search Family, Subfamily and Tribe List

SubFamily Cerambycinae

Tribe Clytini
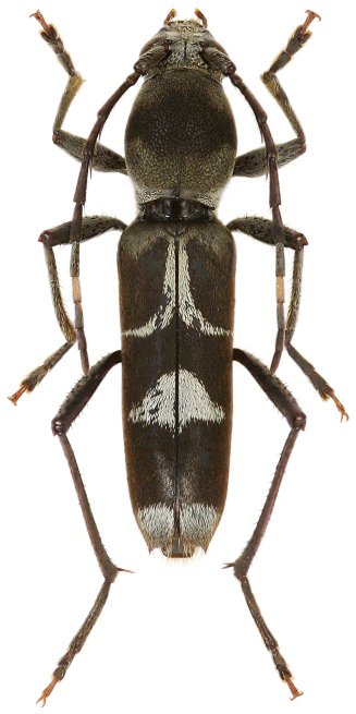
Demonax siberutensis Viktora 2021

Specimen Type: holotype
Sex: f
Institution: Viktora Collection
Photographer: Petr Viktora
Collection Location: Mt Malancan, Siberut Isl, Mentawai Isl, W Sumatra, Indonesia
76562

130425