New Search Family, Subfamily and Tribe List

SubFamily Lepturinae

Tribe Lepturini
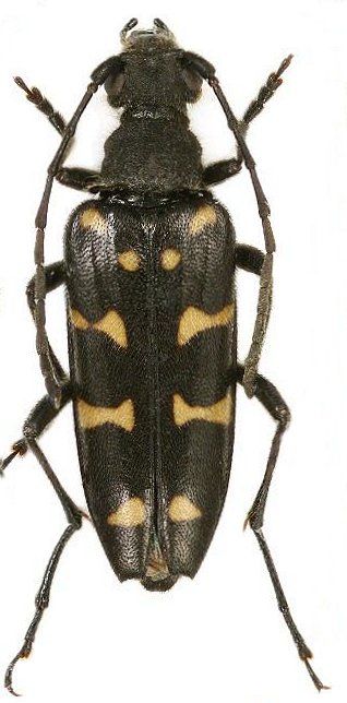
Leptura viktorai Hergovits 2020

Specimen Type: holotype
Sex: f
Institution: Viktora Collection
Photographer: Roman Hergovits
Collection Location: Mt Tangduilaka, Chayu County, Xizang Province, China
76591

130425