New Search Family, Subfamily and Tribe List

SubFamily Lepturinae

Tribe Lepturini
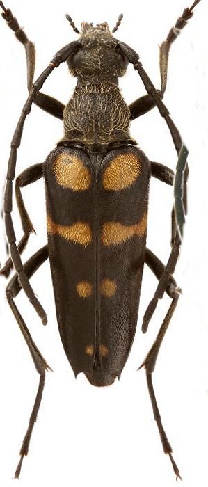
Leptura kabateki Hergovits 2020

Specimen Type: holotype
Sex: m
Institution: Kabatek Collection
Photographer: Roman Hergovits
Collection Location: 98 km SW from Xunyangba, Quin Ling Mtns, Shaanxi Province, China
76574

130425