New Search Family, Subfamily and Tribe List

SubFamily Lepturinae

Tribe Lepturini
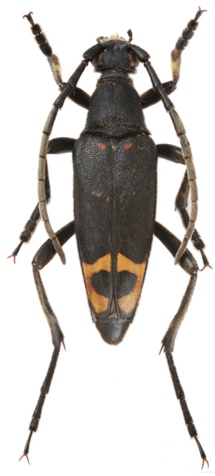
Leptura marceli Hergovits 2020

Specimen Type: holotype
Sex: m
Institution: Hergovits Collection
Photographer: Roman Hergovits
Collection Location: Tam Dao National Park, Vinh Phuc Province, Vietnam
76531

130425