 SS et al QCAZ Cosanga, Napo, Ecuador SS.jpg)
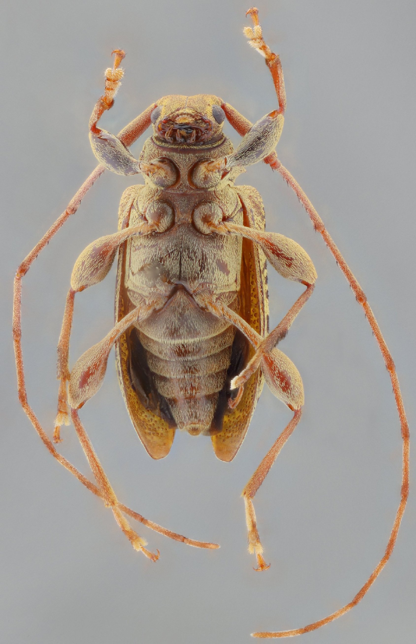
Specimen Type: holotype Sex: m Institution: QCAZ Museo Zoologia, Pontificia Universidad Catolica, Quito, Ecuador Photographer: Antonio Santos-Silva Collection Location: Cosanga, Napo, Ecuador 76024
|
 SS et al QCAZ Cosanga, Napo, Ecuador SS.jpg)
Specimen Type: holotype Sex: m Institution: QCAZ Museo Zoologia, Pontificia Universidad Catolica, Quito, Ecuador Photographer: Antonio Santos-Silva Collection Location: Cosanga, Napo, Ecuador 76025
|
 SS et al QCAZ Cosanga, Napo, Ecuador SS.jpg)
Specimen Type: holotype Sex: m Institution: QCAZ Museo Zoologia, Pontificia Universidad Catolica, Quito, Ecuador Photographer: Antonio Santos-Silva Collection Location: Cosanga, Napo, Ecuador 76026
|
 SS et al QCAZ Cosanga, Napo, Ecuador SS.jpg)
Specimen Type: holotype Sex: m Institution: QCAZ Museo Zoologia, Pontificia Universidad Catolica, Quito, Ecuador Photographer: Antonio Santos-Silva Collection Location: Cosanga, Napo, Ecuador 76027
|
|