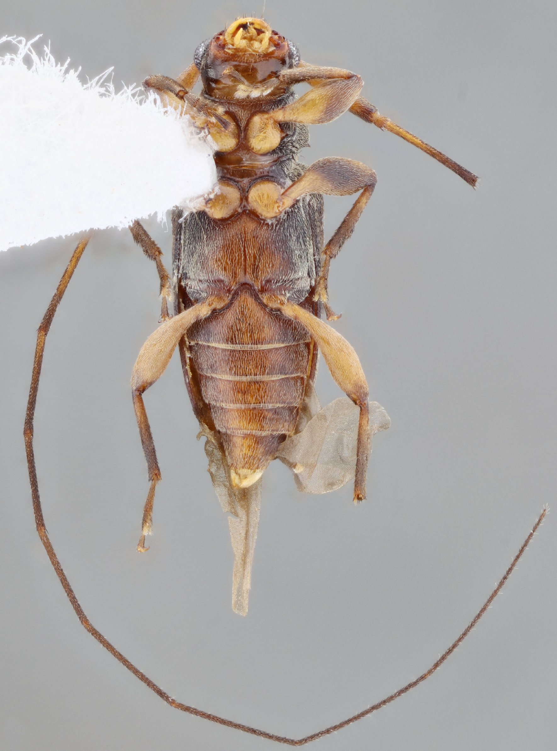
 Nasc SS Flechtmann MEFEIS Selvira Mato Grosso do Sul Brazil SS.jpg)
Specimen Type: holotype Sex: m Institution: MEFE Museu de Ent da Faculdade de Engenharia de Ilha Solteira, Univ Estadual, Sao Paolo, Brazil Photographer: Antonio Santos-Silva Collection Location: Selvira, Mato Grosso do Sul, Brazil 75623
|
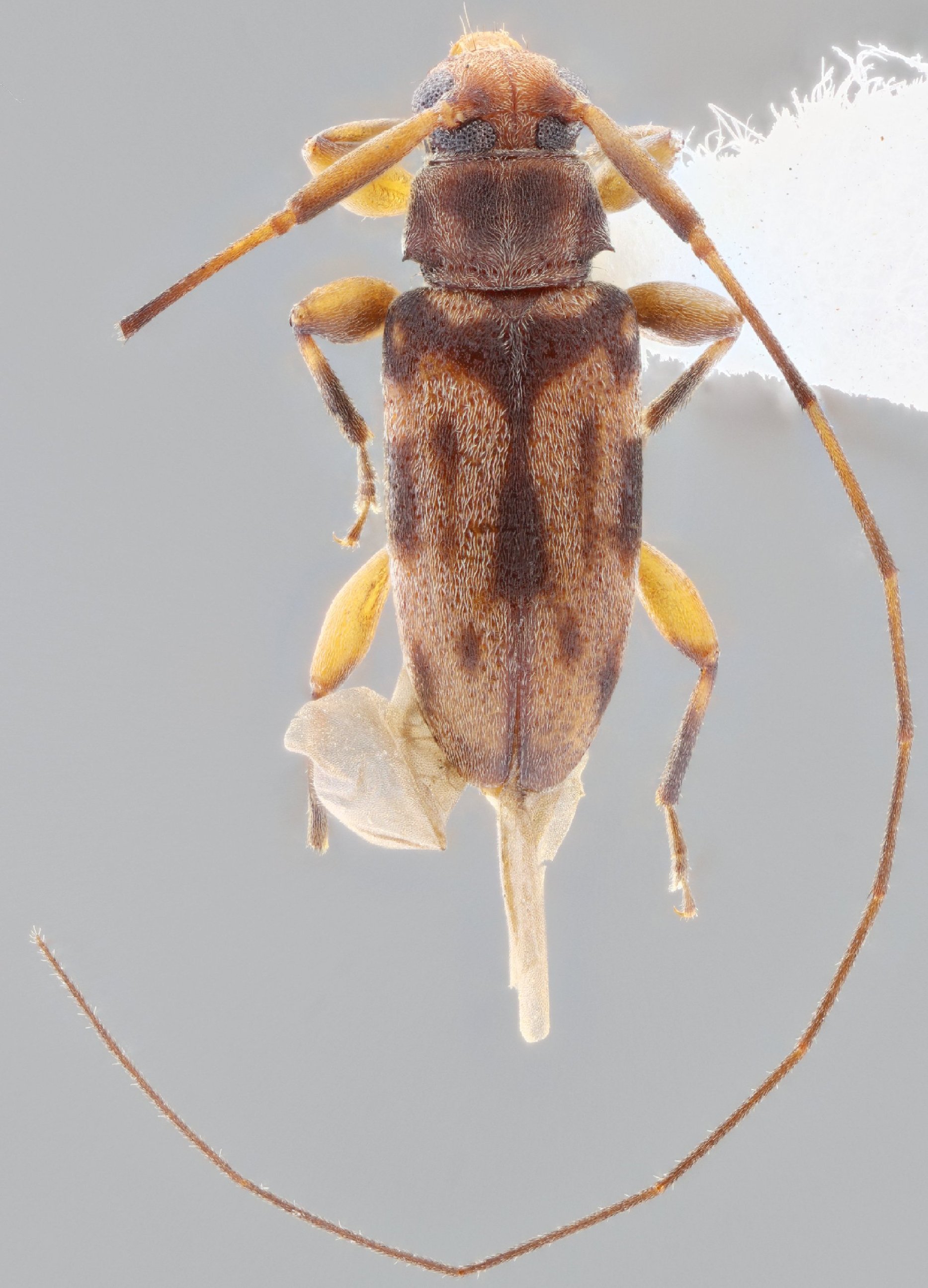
 Nasc SS Flechtmann MEFEIS Selvira Mato Grosso do Sul Brazil SS.jpg)
Specimen Type: holotype Sex: m Institution: MEFE Museu de Ent da Faculdade de Engenharia de Ilha Solteira, Univ Estadual, Sao Paolo, Brazil Photographer: Antonio Santos-Silva Collection Location: Selvira, Mato Grosso do Sul, Brazil 75624
|
 Nasc SS Flechtmann MEFEIS Selvira Mato Grosso do Sul Brazil SS.jpg)
Specimen Type: holotype Sex: m Institution: MEFE Museu de Ent da Faculdade de Engenharia de Ilha Solteira, Univ Estadual, Sao Paolo, Brazil Photographer: Antonio Santos-Silva Collection Location: Selvira, Mato Grosso do Sul, Brazil 75625
|
 Nasc SS Flechtmann MEFEIS Selvira Mato Grosso do Sul Brazil SS.jpg)
Specimen Type: holotype Sex: m Institution: MEFE Museu de Ent da Faculdade de Engenharia de Ilha Solteira, Univ Estadual, Sao Paolo, Brazil Photographer: Antonio Santos-Silva Collection Location: Selvira, Mato Grosso do Sul, Brazil 75626
|
|