New Search Family, Subfamily and Tribe List

SubFamily Cerambycinae

Tribe Cleomenini
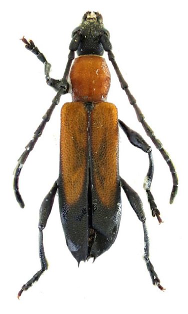
Dere legalovi Barsevskis & Saulite 2020

Specimen Type: holotype
Sex: m
Institution: DUBC Daugavpils University, Coleopterological Research Center, Latvia
Photographer: Arvids Barsevskis
Collection Location: Marabot, E Visayas, Samar Island, Philippines
75551

130425